Lygus hesperus: taxon details and analytics
- Domain
- Kingdom
- Animalia
- Phylum
- Arthropoda
- Class
- Insecta
- Order
- Hemiptera
- Family
- Miridae
- Genus
- Lygus
- Species
- Lygus hesperus
- Scientific Name
- Lygus hesperus
Summary description from Wikipedia:
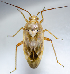
Lygus hesperus
Lygus hesperus, the western tarnished plant bug, is a serious pest of cotton, strawberries, and seed crops such as alfalfa. In the state of California alone the bug causes US$30 million in damage to cotton plants each year, and at least US$40 million in losses to the state's strawberry industry.
...Lygus hesperus in languages:
- English
- Western Tarnished Plant Bug
Images from inaturalist.org observations:
We recommend you sign up for this excellent, free service.
Parent Taxon
Sibling Taxa
- Lygus abroniae
- Lygus adspersus
- Lygus atriflavus
- Lygus atritibialis
- Lygus borealis
- Lygus ceanothi
- Lygus convexicollis
- Lygus elisus
- Lygus gemellatus
- Lygus hesperus
- Lygus humeralis
- Lygus israelensis
- Lygus italicus
- Lygus keltoni
- Lygus lineolaris
- Lygus maritimus
- Lygus mexicanus
- Lygus oregonae
- Lygus plagiatus
- Lygus potentillae
- Lygus pratensis
- Lygus punctatus
- Lygus repletus
- Lygus robustus
- Lygus rolfsi
- Lygus rubroclarus
- Lygus rubrosignatus
- Lygus rufidorsus
- Lygus rugulipennis
- Lygus shulli
- Lygus solidaginis
- Lygus striatus
- Lygus unctuosus
- Lygus vanduzeei
- Lygus wagneri































































































































