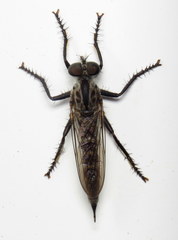
Machimus maneei: taxon details and analytics
- Domain
- Kingdom
- Animalia
- Phylum
- Arthropoda
- Class
- Insecta
- Order
- Diptera
- Family
- Asilidae
- Genus
- Machimus
- Species
- Machimus maneei
- Scientific Name
- Machimus maneei
Summary description from Wikipedia:
Images from inaturalist.org observations:
We recommend you sign up for this excellent, free service.
Parent Taxon
Sibling Taxa
- Machimus aberrans
- Machimus acutus
- Machimus alterus
- Machimus annulipes
- Machimus antimachus
- Machimus arthriticus
- Machimus aurulentus
- Machimus autumnalis
- Machimus biljici
- Machimus blantoni
- Machimus brevis
- Machimus bromleyanus
- Machimus caliginosus
- Machimus callidus
- Machimus cancerae
- Machimus cerasinus
- Machimus chaldaeus
- Machimus chrysitis
- Machimus coleus
- Machimus concinnus
- Machimus cowini
- Machimus cribratus
- Machimus decipiens
- Machimus diagonalis
- Machimus erythocnemius
- Machimus fattigi
- Machimus fimbriatus
- Machimus floridensis
- Machimus frosti
- Machimus gilvipes
- Machimus gonatistes
- Machimus griseus
- Machimus guttatus
- Machimus lacinulatus
- Machimus lecythus
- Machimus longipenis
- Machimus lurettae
- Machimus maneei
- Machimus mcalpinei
- Machimus mexicanus
- Machimus modestus
- Machimus nevadensis
- Machimus niveibarbus
- Machimus notatus
- Machimus novaescotiae
- Machimus occidentalis
- Machimus oriens
- Machimus painteri
- Machimus paropus
- Machimus pilipes
- Machimus polyphemi
- Machimus rusticus
- Machimus sadyates
- Machimus setibarbus
- Machimus snowii
- Machimus stanfordae
- Machimus subdolus
- Machimus submaculus
- Machimus tenebrosus
- Machimus vescus
- Machimus virginicus





















