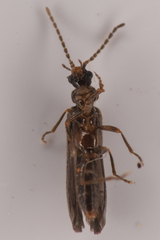
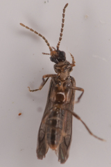
Malthomethes oregonus: taxon details and analytics
- Domain
- Kingdom
- Animalia
- Phylum
- Arthropoda
- Class
- Insecta
- Order
- Coleoptera
- Family
- Omethidae
- Genus
- Malthomethes
- Species
- Malthomethes oregonus
- Scientific Name
- Malthomethes oregonus
Images from inaturalist.org observations:
We recommend you sign up for this excellent, free service.




