Mansonia: taxon details and analytics
- Domain
- Kingdom
- Animalia
- Phylum
- Arthropoda
- Class
- Insecta
- Order
- Diptera
- Family
- Culicidae
- Genus
- Mansonia
- Species
- Scientific Name
- Mansonia
Summary description from Wikipedia:
Mansonia (fly)
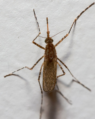
Mansonia mosquitoes are large black or brown mosquitoes with sparkling on their wings and legs. They breed in ponds and lakes containing certain aquatic plants, especially the floating type like Pistia stratiotes and water hyacinth. The eggs are laid in star-shaped clusters on the undersurface of leaves of these plants. The larvae and pupae are found attached to the rootlets of these plants by their siphons. They obtain their air supply from these rootlets. When preparing to transform into adults, these pupae come to the surface of water and the fully formed adults emerge and escape. The control of Mansonia mosquitoes accomplished by removal or destruction of the aquatic host plants by herbicides.
A study published in 2013 determined that the species Mansonia dyari Belkin, Heinemann, and Page should be considered a potential vector of Rift Valley fever virus and would need to be controlled if the virus were introduced into an area where it occurs.
...Mansonia in languages:
- Chinese
- 沼蚊屬
- Thai
- ยุงเสือ ฯลฯ
Images from inaturalist.org observations:
We recommend you sign up for this excellent, free service.































































































































































