Mantispidae: taxon details and analytics
- Domain
- Kingdom
- Animalia
- Phylum
- Arthropoda
- Class
- Insecta
- Order
- Neuroptera
- Family
- Mantispidae
- Genus
- Species
- Scientific Name
- Mantispidae
Summary description from Wikipedia:
Mantispidae
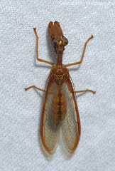
Mantispidae (), commonly known as mantidflies, mantispids, mantid lacewings, mantisflies or mantis-flies, is a family of small to moderate-sized insects in the order Neuroptera. There are many genera with around 400 species worldwide, especially in the tropics and subtropics. Only five species of Mantispa occur in Europe. As their names suggest, members of the group possess raptorial forelimbs similar to those of the praying mantis, a case of convergent evolution.
...Mantispidae in languages:
- Afrikaans
- Valshotnotsgotte
- Chinese
- 螳蛉科
- Czech
- pakudlankovití
- Danish
- Knælerfluer
- English
- Mantidflies
- English
- Mantisflies
- English
- Mantid Lacewings
- English
- Mantidfly
- German
- Fanghafte
- Hebrew
- טרפרגליים
- Japanese
- カマキリモドキ科
- Korean
- 사마귀붙이과
- Russian
- Мантиспиды
Images from inaturalist.org observations:
We recommend you sign up for this excellent, free service.































































































































































