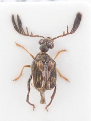
Megacerus deceptor: taxon details and analytics
- Domain
- Kingdom
- Animalia
- Phylum
- Arthropoda
- Class
- Insecta
- Order
- Coleoptera
- Family
- Chrysomelidae
- Genus
- Megacerus
- Species
- Megacerus deceptor
- Scientific Name
- Megacerus deceptor
Parent Taxon
Sibling Taxa
- Megacerus alabani
- Megacerus bifloccosus
- Megacerus callirhipis
- Megacerus capreolus
- Megacerus centralis
- Megacerus codonophagus
- Megacerus contaminatus
- Megacerus coryphae
- Megacerus cubiciformis
- Megacerus cubiculus
- Megacerus curupaonis
- Megacerus deceptor
- Megacerus discoidus
- Megacerus ferrugineosignatus
- Megacerus ferruginosus
- Megacerus flabelliger
- Megacerus impiger
- Megacerus incisithorax
- Megacerus leucospilus
- Megacerus leucurus
- Megacerus lherminieri
- Megacerus maculiventris
- Megacerus minusculus
- Megacerus pescaprae
- Megacerus porosus
- Megacerus pubescens
- Megacerus ramicornis
- Megacerus ricaensis
- Megacerus ripiphorus
- Megacerus schaefferianus
- Megacerus tricolor
