Megacyllene angulata: taxon details and analytics
- Domain
- Kingdom
- Animalia
- Phylum
- Arthropoda
- Class
- Insecta
- Order
- Coleoptera
- Family
- Cerambycidae
- Genus
- Megacyllene
- Species
- Megacyllene angulata
- Scientific Name
- Megacyllene angulata
Summary description from Wikipedia:
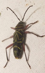
Images from inaturalist.org observations:
We recommend you sign up for this excellent, free service.
Parent Taxon
Sibling Taxa
- Megacyllene acuta
- Megacyllene andesiana
- Megacyllene angulata
- Megacyllene angulifera
- Megacyllene antennata
- Megacyllene asteca
- Megacyllene boryi
- Megacyllene caryae
- Megacyllene castanea
- Megacyllene chalybeata
- Megacyllene congener
- Megacyllene decora
- Megacyllene falsa
- Megacyllene insignita
- Megacyllene latreillei
- Megacyllene lutosa
- Megacyllene mellyi
- Megacyllene menalaspis
- Megacyllene multiguttata
- Megacyllene neblinosa
- Megacyllene nebulosa
- Megacyllene nevermanni
- Megacyllene panamensis
- Megacyllene powersi
- Megacyllene proxima
- Megacyllene punensis
- Megacyllene robiniae
- Megacyllene robusta
- Megacyllene rufofemorata
- Megacyllene snowi
- Megacyllene spinifera
- Megacyllene spixii
- Megacyllene unicolor










