Megischus: taxon details and analytics
- Domain
- Kingdom
- Animalia
- Phylum
- Arthropoda
- Class
- Insecta
- Order
- Hymenoptera
- Family
- Stephanidae
- Genus
- Megischus
- Species
- Scientific Name
- Megischus
Summary description from Wikipedia:
Megischus
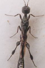
Megischus is a genus of crown-wasps in the parasitoid family Stephanidae. There are over 90 species globally distributed throughout the Neotropical, Palearctic, Afrotropical, Oriental, Australasian, and Oceanian zoogeographical regions.
Members of the family Stephanidae are notorious for their distinct “crown” composed of 5 spike-shaped tubercles on the head. The Megischus genus can be distinguished from other genera in Stephanidae by transversely depressed hind tibia and the absence of setae on the M+Cu1 vein. Adult individuals of this species can reach up to 40 millimeters in length. Females possess an ovipositor that exceeds their body length and is used to lay eggs in species of wood-boring beetle families including Buprestidae (Jewel Beetles), Cerambycidae (Longhorned Beetles), and Curculionidae (True Weevils). Due to their specialized parasitic lifestyle, Megischus plays a critical role in regulating the wood-boring beetle population, which can be pests for species of hardwood trees and other vegetation worldwide. In addition to beetles, some species in Megischus are parasitoids of Hymenopteran species that include species of Siricidae and solitary Apoidea.
...Images from inaturalist.org observations:
We recommend you sign up for this excellent, free service.































































































































































