Mesochorus: taxon details and analytics
- Domain
- Kingdom
- Animalia
- Phylum
- Arthropoda
- Class
- Insecta
- Order
- Hymenoptera
- Family
- Ichneumonidae
- Genus
- Mesochorus
- Species
- Scientific Name
- Mesochorus
Summary description from Wikipedia:
Mesochorus
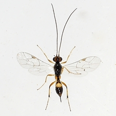
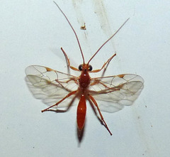
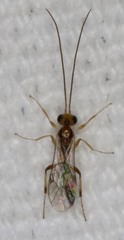
Mesochorus is a genus of ichneumon wasps in the family Ichneumonidae. There are at least 690 described species in Mesochorus.
...Mesochorus in languages:
- Chinese
- 菱室姬蜂屬
- Danish
- Diamantvinge
- Korean
- 어리자루맵시벌속
Images from inaturalist.org observations:
We recommend you sign up for this excellent, free service.
Parent Taxon
Sibling Taxa
Child Taxa
- Mesochorus aestivus
- Mesochorus agilis
- Mesochorus albicinctus
- Mesochorus altissimus
- Mesochorus angustistigmatus
- Mesochorus annulatus
- Mesochorus anomalus
- Mesochorus asperifrons
- Mesochorus atriventris
- Mesochorus aulacis
- Mesochorus bilineatus
- Mesochorus blanditus
- Mesochorus brevipetiolatus
- Mesochorus broccus
- Mesochorus brullei
- Mesochorus carinatus
- Mesochorus cariniferus
- Mesochorus cholulaensis
- Mesochorus chrysurus
- Mesochorus cimbicis
- Mesochorus circinus
- Mesochorus clinatus
- Mesochorus columbiae
- Mesochorus conjuctus
- Mesochorus costaricensis
- Mesochorus curvulus
- Mesochorus daedalus
- Mesochorus decoratus
- Mesochorus desertorum
- Mesochorus discitergus
- Mesochorus diversus
- Mesochorus electilis
- Mesochorus ensifer
- Mesochorus eximius
- Mesochorus extraordinarius
- Mesochorus extremus
- Mesochorus facialis
- Mesochorus gemellus
- Mesochorus grandisops
- Mesochorus hastatus
- Mesochorus herero
- Mesochorus hidalgoensis
- Mesochorus hispidus
- Mesochorus imimicus
- Mesochorus incisus
- Mesochorus incultus
- Mesochorus inimicus
- Mesochorus insignatus
- Mesochorus integer
- Mesochorus inusitatus
- Mesochorus laboriosus
- Mesochorus lateralis
- Mesochorus lituratus
- Mesochorus luteipes
- Mesochorus luteolus
- Mesochorus maurus
- Mesochorus montanus
- Mesochorus multilineatus
- Mesochorus necatorius
- Mesochorus nox
- Mesochorus noxiosus
- Mesochorus nuncupator
- Mesochorus oaxacae
- Mesochorus olerum
- Mesochorus orestes
- Mesochorus ornatus
- Mesochorus palinensis
- Mesochorus palliolatus
- Mesochorus panamensis
- Mesochorus placitus
- Mesochorus politus
- Mesochorus pueblicus
- Mesochorus pumilus
- Mesochorus punctipleuris
- Mesochorus reflexus
- Mesochorus rubidus
- Mesochorus russatus
- Mesochorus semirufus
- Mesochorus similaris
- Mesochorus sinaloensis
- Mesochorus solitarius
- Mesochorus stigmator
- Mesochorus subtilis
- Mesochorus sulcifer
- Mesochorus sylvarum
- Mesochorus testaceus
- Mesochorus totonacus
- Mesochorus triangularis
- Mesochorus uniformis
- Mesochorus veracruzi
- Mesochorus versutus
- Mesochorus vittator
- Mesochorus zonatus


































































































