Micropeza grallatrix: taxon details and analytics
- Domain
- Kingdom
- Animalia
- Phylum
- Arthropoda
- Class
- Insecta
- Order
- Diptera
- Family
- Micropezidae
- Genus
- Micropeza
- Species
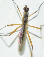
- Micropeza grallatrix
- Scientific Name
- Micropeza grallatrix
Images from inaturalist.org observations:
We recommend you sign up for this excellent, free service.
Parent Taxon
Sibling Taxa
- Micropeza abnormis
- Micropeza albiseta
- Micropeza angustipennis
- Micropeza bisetosa
- Micropeza brasiliensis
- Micropeza brevipennis
- Micropeza compar
- Micropeza corrigiolata
- Micropeza grallatrix
- Micropeza lateralis
- Micropeza lineata
- Micropeza nitidor
- Micropeza producta
- Micropeza ruficeps
- Micropeza setaventris
- Micropeza stigmatica
- Micropeza texana
- Micropeza turcana
- Micropeza ventralis


















