Mycosphaerella colorata: taxon details and analytics
- Domain
- Kingdom
- Fungi
- Phylum
- Ascomycota
- Class
- Dothideomycetes
- Order
- Capnodiales
- Family
- Mycosphaerellaceae
- Genus
- Ramularia
- Species
- Mycosphaerella colorata
- Scientific Name
- Mycosphaerella colorata
Mycosphaerella colorata in languages:
- English
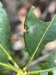
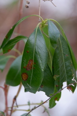
- Mountain Laurel Leaf Spot
Images from inaturalist.org observations:
We recommend you sign up for this excellent, free service.
Parent Taxon
Sibling Taxa
- Mycosphaerella aristolochiae
- Mycosphaerella asperulae
- Mycosphaerella asterinoides
- Mycosphaerella bacillifera
- Mycosphaerella basicola
- Mycosphaerella brunneola
- Mycosphaerella bulgarica
- Mycosphaerella buxicola
- Mycosphaerella calamagrostidis
- Mycosphaerella campanulae
- Mycosphaerella canariensis
- Mycosphaerella caulicola
- Mycosphaerella chimaphilae
- Mycosphaerella chlorogali
- Mycosphaerella coacervata
- Mycosphaerella colorata
- Mycosphaerella cunninghamii
- Mycosphaerella densa
- Mycosphaerella depazeiformis
- Mycosphaerella didymelloides
- Mycosphaerella effigurata
- Mycosphaerella elymi
- Mycosphaerella enteleae
- Mycosphaerella escalloniae
- Mycosphaerella etlingerae
- Mycosphaerella euonymi
- Mycosphaerella fagi
- Mycosphaerella filicum
- Mycosphaerella fraxinicola
- Mycosphaerella graminum
- Mycosphaerella grossulariae
- Mycosphaerella hieracii
- Mycosphaerella hondae
- Mycosphaerella hyperici
- Mycosphaerella ignobilis
- Mycosphaerella impatientis
- Mycosphaerella isariphora
- Mycosphaerella joerstadii
- Mycosphaerella juglandis
- Mycosphaerella kabocha
- Mycosphaerella lantanae
- Mycosphaerella leptopleura
- Mycosphaerella ligustri
- Mycosphaerella lineolata
- Mycosphaerella liriodendri
- Mycosphaerella longissima
- Mycosphaerella maderensis
- Mycosphaerella metrosideri
- Mycosphaerella mimosicola
- Mycosphaerella munkii
- Mycosphaerella myricae
- Mycosphaerella nevodovskii
- Mycosphaerella nigerristigma
- Mycosphaerella pachyasca
- Mycosphaerella petiolicola
- Mycosphaerella pittospori
- Mycosphaerella plantaginis
- Mycosphaerella polygoni-cuspidati
- Mycosphaerella polygramma
- Mycosphaerella pomi
- Mycosphaerella pulsatillae
- Mycosphaerella pyrolae
- Mycosphaerella rhododendri
- Mycosphaerella rubella
- Mycosphaerella salicicola
- Mycosphaerella salicorniae
- Mycosphaerella sarraceniae
- Mycosphaerella scaevolae
- Mycosphaerella spissa
- Mycosphaerella spleniata
- Mycosphaerella stemmatea
- Mycosphaerella tabifica
- Mycosphaerella thalictri
- Mycosphaerella vacciniicola
- Mycosphaerella viburni
- Mycosphaerella waimeana
- Mycosphaerella weigelae
- Ovularia lupinicola
- Ramularia abscondita
- Ramularia acris
- Ramularia adoxae
- Ramularia agrestis
- Ramularia ajugae
- Ramularia alnicola
- Ramularia anchusae
- Ramularia anomala
- Ramularia anthemidis
- Ramularia aplospora
- Ramularia archangelicae
- Ramularia armoraciae
- Ramularia aromatica
- Ramularia artemisiae
- Ramularia asplenii
- Ramularia asteris
- Ramularia beccabungae
- Ramularia bellunensis
- Ramularia betae
- Ramularia beticola
- Ramularia biflorae
- Ramularia bistortae
- Ramularia brunnea
- Ramularia bryoniae
- Ramularia buniadis
- Ramularia calcea
- Ramularia calthae
- Ramularia cardamines
- Ramularia carneola
- Ramularia celastri
- Ramularia cephalanthi
- Ramularia chaerophylli
- Ramularia chamerionis
- Ramularia cichorii
- Ramularia cilinodis
- Ramularia circaeae
- Ramularia claytoniae
- Ramularia coccinea
- Ramularia coleosporii
- Ramularia collo-cygni
- Ramularia compacta
- Ramularia crassiuscula
- Ramularia cupulariae
- Ramularia cylindroides
- Ramularia cynarae
- Ramularia cynoglossi
- Ramularia davisiana
- Ramularia desmodii
- Ramularia deusta
- Ramularia didyma
- Ramularia didymarioides
- Ramularia doronici
- Ramularia echii
- Ramularia endophylla
- Ramularia filaris
- Ramularia gei
- Ramularia geranii
- Ramularia giliae
- Ramularia glechomatis
- Ramularia grevilleana
- Ramularia hellebori
- Ramularia helminthiae
- Ramularia heraclei
- Ramularia heucherae
- Ramularia holci-lanati
- Ramularia inaequalis
- Ramularia interstitialis
- Ramularia keithii
- Ramularia lactea
- Ramularia lactucae
- Ramularia lamii
- Ramularia lapsanae
- Ramularia leonuri
- Ramularia linariae
- Ramularia lonicerae
- Ramularia loticola
- Ramularia lychnidicola
- Ramularia lysimachiae
- Ramularia macrospora
- Ramularia major
- Ramularia marrubii
- Ramularia matricariae
- Ramularia melampyri
- Ramularia menyanthis
- Ramularia minax
- Ramularia moehringiae
- Ramularia nemopanthi
- Ramularia nivosa
- Ramularia nyssicola
- Ramularia onobrychidis
- Ramularia oreophila
- Ramularia oxalidis
- Ramularia pararhabdospora
- Ramularia parietariae
- Ramularia persicariicola
- Ramularia philadelphi
- Ramularia picridis
- Ramularia polygalae
- Ramularia pratensis
- Ramularia primulae
- Ramularia pruinosa
- Ramularia purpurascens
- Ramularia pusilla
- Ramularia reticulata
- Ramularia rhabdospora
- Ramularia rigidula
- Ramularia rosea
- Ramularia rubella
- Ramularia rudbeckiae
- Ramularia rufomaculans
- Ramularia rumicis
- Ramularia rumicis-scutati
- Ramularia sambucina
- Ramularia schulzeri
- Ramularia scolopendrii
- Ramularia senecionis
- Ramularia septata
- Ramularia serotina
- Ramularia sidalceae
- Ramularia simplex
- Ramularia sparganii
- Ramularia sphaeroidea
- Ramularia succisae
- Ramularia tanaceti
- Ramularia taraxaci
- Ramularia tenuis
- Ramularia triboutiana
- Ramularia tricherae
- Ramularia ulmariae
- Ramularia uredinis
- Ramularia urticae
- Ramularia vacciniicola
- Ramularia valerianae
- Ramularia variabilis































































































































































