Myriochila: taxon details and analytics
- Domain
- Kingdom
- Animalia
- Phylum
- Arthropoda
- Class
- Insecta
- Order
- Coleoptera
- Family
- Carabidae
- Genus
- Myriochila
- Species
- Scientific Name
- Myriochila
Summary description from Wikipedia:
Myriochila
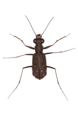
Myriochila is a genus of tiger beetles in the family Cicindelidae, containing the following species:
- Myriochila akhteri Cassola & Wiesner, 2009
- Myriochila albomarginalis (W.Horn, 1900)
- Myriochila atelesta (Chaudoir, 1854)
- Myriochila basilewskyi Cassola, 1978
- Myriochila chateneti Rivalier, 1965
- Myriochila cornusafricae Cassola, 1987
- Myriochila deprimozi (Babault, 1913)
- Myriochila distinguenda (Dejean, 1825)
- Myriochila divina (W.Horn, 1893)
- Myriochila dorsata (Brulle, 1834)
- Myriochila dubia (W.Horn, 1892)
- Myriochila dumolinii (Dejean, 1831)
- Myriochila ehlersi (W.Horn, 1914)
- Myriochila fastidiosa (Dejean, 1825)
- Myriochila flavidens (Guerin-Meneville, 1849)
- Myriochila georgwerneri Werner, 1998
- Myriochila haladai Kudrna, 2010
- Myriochila hauseri (W.Horn, 1898)
- Myriochila jordaniana (W.Horn, 1898)
- Myriochila jucunda (Peringuey, 1892)
- Myriochila legalli Kudrna, 2008
- Myriochila lomii (W.Horn, 1938)
- Myriochila malzyi Rivalier, 1965
- Myriochila mastersi (Laporte de Castelnau, 1867)
- Myriochila melancholica (Fabricius, 1798)
- Myriochila mirei Basilewsky, 1962
- Myriochila moseri (W.Horn, 1901)
- Myriochila nudopectoralis (W.Horn, 1903)
- Myriochila orientalis (Dejean, 1825)
- Myriochila parasemicincta (Freitag, 1979)
- Myriochila pauliani (Colas, 1942)
- Myriochila peringueyi (W.Horn, 1895)
- Myriochila perplexa (Dejean, 1825)
- Myriochila philippinensis (Mandl, 1956)
- Myriochila plebeja (Sloane, 1905)
- Myriochila plurinotata (Audouin & Brulle, 1839)
- Myriochila respiciens (W.Horn, 1920)
- Myriochila semicincta (Brulle, 1834)
- Myriochila sericeolongicornis (W.Horn, 1926)
- Myriochila sinica (Fleutiaux, 1889)
- Myriochila specularis (Chaudoir, 1865)
- Myriochila timoriensis (Jordan, 1894)
- Myriochila trilunaris (Klug, 1832)
- Myriochila turkana Werner & Oesterle, 2000
- Myriochila undulata (Dejean, 1825)
- Myriochila vicina (Dejean, 1831)
Myriochila in languages:
- Japanese
- コハンミョウ属
Images from inaturalist.org observations:
We recommend you sign up for this excellent, free service.
Parent Taxon
Sibling Taxa
- Abroscelis
- Antennaria
- Apterodela
- Apteroessa
- Archidela
- Bennigsenium
- Bostrichophorus
- Brasiella
- Callytron
- Calomera
- Cassolaia
- Cephalota
- Chaetodera
- Cicindela
- Cosmodela
- Cratohaerea
- Cylindera
- Dromicoida
- Dromochorus
- Ellipsoptera
- Elliptica
- Enantiola
- Eunota
- Eurymorpha
- Euzona
- Grandopronotalia
- Guineica
- Habrodera
- Habroscelimorpha
- Homodela
- Hypaetha
- Jansenia
- Jundlandia
- Leptognatha
- Lophyra
- Macfarlandia
- Manautea
- Micromentignatha
- Microthylax
- Myriochila
- Naviauxella
- Neocicindela
- Neolaphyra
- Notospira
- Ophryodera
- Opilidia
- Orthocindela
- Parvindela
- Polyrhanis
- Prothymidia
- Rivacindela
- Salpingophora
- Sumlinia
- Thopeutica
- Trichodela
- Trichotaenia
- Zecicindela
Child Taxa
- Myriochila atelesta
- Myriochila basilewskyi
- Myriochila distinguenda
- Myriochila dohrnii
- Myriochila fastidiosa
- Myriochila georgwerneri
- Myriochila jordaniana
- Myriochila jucunda
- Myriochila mastersi
- Myriochila melancholica
- Myriochila mirei
- Myriochila orientalis
- Myriochila peringueyi
- Myriochila semicincta
- Myriochila specularis
- Myriochila trilunaris
- Myriochila turkana
- Myriochila undulata
- Myriochila vicina

























