Mytilus trossulus: taxon details and analytics
- Domain
- Kingdom
- Animalia
- Phylum
- Mollusca
- Class
- Bivalvia
- Order
- Mytilida
- Family
- Mytilidae
- Genus
- Mytilus
- Species
- Mytilus trossulus
- Scientific Name
- Mytilus trossulus
Summary description from Wikipedia:
Mytilus trossulus
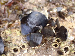
Mytilus trossulus, the Pacific blue mussel, bay mussel or foolish mussel, is a medium-sized edible marine bivalve mollusc in the family Mytilidae.
Mytilus trossulus is one of the three principal, closely related taxa in the Mytilus edulis complex of blue mussels, which collectively are widely distributed on the temperate to subarctic coasts the Northern Hemisphere, and often are dominant inhabitants on hard substrates of the intertidal and nearshore habitats.
...Mytilus trossulus in languages:
- English
- Northern Bay Mussel
- English
- Pacific Blue Mussel
- English
- Foolish Mussel
- Estonian
- Söödav rannakarp
- Finnish
- sinisimpukka
- German
- Pazifische Miesmuschel
- Japanese
- キタノムラサキイガイ
- Korean
- 북방담치
- Latvian
- Ziemeļu ēdamgliemene
- Lithuanian
- Įlankinė midija
- Russian
- Мидия тихоокеанская
Images from inaturalist.org observations:
We recommend you sign up for this excellent, free service.































































































































































