Nabis capsiformis: taxon details and analytics
- Domain
- Kingdom
- Animalia
- Phylum
- Arthropoda
- Class
- Insecta
- Order
- Hemiptera
- Family
- Nabidae
- Genus
- Nabis
- Species
- Nabis capsiformis
- Scientific Name
- Nabis capsiformis
Summary description from Wikipedia:
Nabis capsiformis
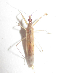
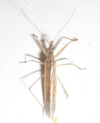
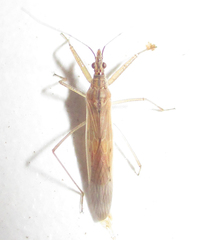
Nabis capsiformis, the pale damsel bug, is a species of damsel bug in the family Nabidae. It is found in Africa, the Caribbean, Europe and Northern Asia (excluding China), Central America, North America, Oceania, and South America.
...Nabis capsiformis in languages:
- Chinese
- 窄姬蝽
- Dutch
- Zwervende Sikkelwants
Images from inaturalist.org observations:
We recommend you sign up for this excellent, free service.































































































































































