Skip to the navigation
.
Skip to the content
.
BioSurveys.org
Surveying life, socially, locally.
places search
taxa search
Color
Sign In
Nathriobrium methioides: taxon details and analytics
Domain
Kingdom
Animalia
Phylum
Arthropoda
Class
Insecta
Order
Coleoptera
Family
Cerambycidae
Genus
Nathriobrium
Species
Nathriobrium methioides
Scientific Name
Nathriobrium methioides
Images from inaturalist.org observations:
We recommend you sign up for this excellent, free service.
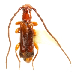
©Mike Quinn, Austin, TX, some rights reserved (CC-BY-NC)
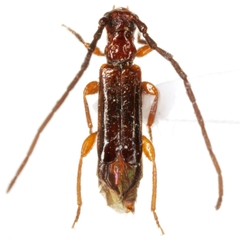
©Mike Quinn, Austin, TX, some rights reserved (CC-BY-NC)
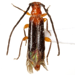
©Mike Quinn, Austin, TX, some rights reserved (CC-BY-NC)
Parent Taxon
Nathriobrium
Sibling Taxa
Nathriobrium methioides
Top Observation Places
Share
Tweet
Back to Top
Biosurveys - Crowd Sourced Local Biogeography Login