Nemouroidea: taxon details and analytics
- Domain
- Kingdom
- Animalia
- Phylum
- Arthropoda
- Class
- Insecta
- Order
- Plecoptera
- Family
- Genus
- Species
- Scientific Name
- Nemouroidea
Summary description from Wikipedia:
Nemouroidea
Nemouroidea är en överfamilj av bäcksländor. Nemouroidea ingår i ordningen bäcksländor, klassen egentliga insekter, fylumet leddjur och riket djur. Enligt Catalogue of Life omfattar överfamiljen Nemouroidea 1395 arter.
Kladogram enligt Catalogue of Life:
...Nemouroidea in languages:
- English
- Rolled-winged, Forest, and Winter Stoneflies
- Japanese
- オナシカワゲラ上科
- Korean
- 민강도래상과
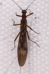
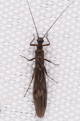
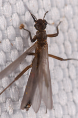
Images from inaturalist.org observations:
We recommend you sign up for this excellent, free service.































































































































































