Neocompsa exclamationis: taxon details and analytics
- Domain
- Kingdom
- Animalia
- Phylum
- Arthropoda
- Class
- Insecta
- Order
- Coleoptera
- Family
- Cerambycidae
- Genus
- Neocompsa
- Species
- Neocompsa exclamationis
- Scientific Name
- Neocompsa exclamationis
Summary description from Wikipedia:
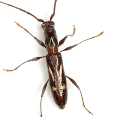
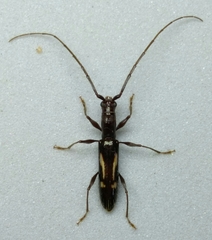
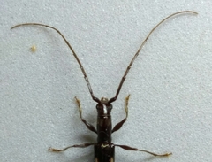
Neocompsa exclamationis
Neocompsa exclamationis is a species of beetle in the family Cerambycidae. It was described by Thomson in 1860.
...Images from inaturalist.org observations:
We recommend you sign up for this excellent, free service.
Parent Taxon
Sibling Taxa
- Neocompsa agnosta
- Neocompsa alacris
- Neocompsa bravo
- Neocompsa chemsaki
- Neocompsa clerochroa
- Neocompsa cylindricollis
- Neocompsa dysthymia
- Neocompsa exclamationis
- Neocompsa flavoquadripunctata
- Neocompsa gaumeri
- Neocompsa intricata
- Neocompsa lineolata
- Neocompsa macroscina
- Neocompsa macrotricha
- Neocompsa mexicana
- Neocompsa ptoma
- Neocompsa puncticollis
- Neocompsa pysma
- Neocompsa quadriplagiata
- Neocompsa sericans
- Neocompsa sinaloana
- Neocompsa spinosa
- Neocompsa squalida
- Neocompsa tenuissima
- Neocompsa textilis
- Neocompsa thelgema
- Neocompsa turnbowi
- Neocompsa veracruzana
- Neocompsa werneri







































