Neodactria zeellus: taxon details and analytics
- Domain
- Kingdom
- Animalia
- Phylum
- Arthropoda
- Class
- Insecta
- Order
- Lepidoptera
- Family
- Crambidae
- Genus
- Neodactria
- Species
- Neodactria zeellus
- Scientific Name
- Neodactria zeellus
Summary description from Wikipedia:
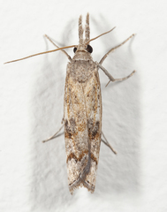
Neodactria zeellus
Neodactria zeellus is a species of moth in the family Crambidae. It was first described by Charles H. Fernald in 1885. It is found in North America, where it has been recorded from Alberta, Florida, Indiana, Maine, Maryland, Massachusetts, Mississippi, Ohio, Oklahoma, Pennsylvania and Tennessee.
...Images from inaturalist.org observations:
We recommend you sign up for this excellent, free service.
































































































