Neopamera albocincta: taxon details and analytics

Domain
Kingdom
Animalia
Phylum
Arthropoda
Class
Insecta
Order
Hemiptera
Family
Rhyparochromidae
Genus
Neopamera
Species
Neopamera albocincta
Scientific Name
Neopamera albocincta

Summary description from Wikipedia:

Neopamera albocincta

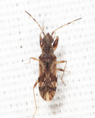
Neopamera albocincta is a species of dirt-colored seed bug in the family Rhyparochromidae. It is found in the Caribbean Sea, Central America, North America, and South America.

...
 

Images from inaturalist.org observations:

We recommend you sign up for this excellent, free service.

Neopamera albocincta
©Eric Fischer Rempe, some rights reserved (CC-BY-NC)
Neopamera albocincta
©judyasarkof, some rights reserved (CC-BY-NC)
Neopamera albocincta
©joanneteresa, some rights reserved (CC-BY-NC)
Neopamera albocincta
©joanneteresa, some rights reserved (CC-BY-NC)
Neopamera albocincta
©Jane Weeden, some rights reserved (CC-BY-NC)
Neopamera albocincta
©Jane Weeden, some rights reserved (CC-BY-NC)
Neopamera albocincta
©bumblebeebob, some rights reserved (CC-BY-NC)
Neopamera albocincta
©Kozue Kawakami, some rights reserved (CC-BY)
Neopamera albocincta
©Zoology123, some rights reserved (CC-BY-NC)
Neopamera albocincta
©Zoology123, some rights reserved (CC-BY-NC)
Neopamera albocincta
©Van Remsen, some rights reserved (CC-BY-NC)
Neopamera albocincta
©Rich Kostecke, some rights reserved (CC-BY-NC)
Neopamera albocincta
©Van Remsen, some rights reserved (CC-BY-NC)
Neopamera albocincta
©Van Remsen, some rights reserved (CC-BY-NC)
Neopamera albocincta
©Jeff Clark, some rights reserved (CC-BY)
Neopamera albocincta
©Rodolfo Salinas Villarreal, some rights reserved (CC-BY)
Neopamera albocincta
©Rodolfo Salinas Villarreal, some rights reserved (CC-BY)
Neopamera albocincta
©Rodolfo Salinas Villarreal, some rights reserved (CC-BY)
Neopamera albocincta
©Van Remsen, some rights reserved (CC-BY-NC)
Neopamera albocincta
©Van Remsen, some rights reserved (CC-BY-NC)
Neopamera albocincta
©Reiner Jakubowski, some rights reserved (CC-BY-SA)
Neopamera albocincta
©Derek Hudgins, some rights reserved (CC-BY-NC)
Neopamera albocincta
©Van Remsen, some rights reserved (CC-BY-NC)
Neopamera albocincta
©Derek Hudgins, some rights reserved (CC-BY-NC)
Neopamera albocincta
©Derek Hudgins, some rights reserved (CC-BY-NC)
Neopamera albocincta
©Van Remsen, some rights reserved (CC-BY-NC)
Neopamera albocincta
©Tom Murray, some rights reserved (CC-BY-NC)
Neopamera albocincta
©Greg Cudworth, some rights reserved (CC-BY-NC)
Neopamera albocincta
©snakebird15, some rights reserved (CC-BY-NC)
Neopamera albocincta
©snakebird15, some rights reserved (CC-BY-NC)
Neopamera albocincta
©Robert Webster, some rights reserved (CC-BY-SA)
Neopamera albocincta
©Robert Webster, some rights reserved (CC-BY-SA)
Neopamera albocincta
©Shelley Rutkin, some rights reserved (CC-BY-NC)
Neopamera albocincta
©Dan MacNeal, some rights reserved (CC-BY)
Neopamera albocincta
©Van Remsen, some rights reserved (CC-BY-NC)
Neopamera albocincta
©Robert Webster, some rights reserved (CC-BY-SA)
Neopamera albocincta
©Robert Webster, some rights reserved (CC-BY-SA)
Neopamera albocincta
©Robert Webster, some rights reserved (CC-BY-SA)
Neopamera albocincta
©Joseph McPhail, some rights reserved (CC-BY)
Neopamera albocincta
©Joseph McPhail, some rights reserved (CC-BY)
Neopamera albocincta
©Luke Smith, some rights reserved (CC-BY-NC)
Neopamera albocincta
©Whitney Ramsey, some rights reserved (CC-BY-NC)
Neopamera albocincta
©Van Remsen, some rights reserved (CC-BY-NC)
Neopamera albocincta
©Van Remsen, some rights reserved (CC-BY-NC)
Neopamera albocincta
©Eric Giles, some rights reserved (CC-BY-NC)
Neopamera albocincta
©Eric Giles, some rights reserved (CC-BY-NC)
Neopamera albocincta
©Francisco Farriols Sarabia, some rights reserved (CC-BY)
Neopamera albocincta
©robirdman, some rights reserved (CC-BY-NC)
Neopamera albocincta
©Andy Newman, some rights reserved (CC-BY-NC)
Neopamera albocincta
©Andy Newman, some rights reserved (CC-BY-NC)
Neopamera albocincta
©Andy Newman, some rights reserved (CC-BY-NC)
Neopamera albocincta
©Mark Rosenstein, some rights reserved (CC-BY-NC-SA)
Neopamera albocincta
©Judy Gallagher, some rights reserved (CC-BY)
Neopamera albocincta
©Jason M Crockwell, some rights reserved (CC-BY-NC-ND)
Neopamera albocincta
©Jason M Crockwell, some rights reserved (CC-BY-NC-ND)
Neopamera albocincta
©dcslaugh, some rights reserved (CC-BY-NC)
Neopamera albocincta
©Jeffrey G. Cramer, some rights reserved (CC-BY-NC)
Neopamera albocincta
©Jeffrey G. Cramer, some rights reserved (CC-BY-NC)
Neopamera albocincta
©dcslaugh, some rights reserved (CC-BY-NC)
Neopamera albocincta
©dcslaugh, some rights reserved (CC-BY-NC)
Neopamera albocincta
©Ken, some rights reserved (CC-BY-NC)
Neopamera albocincta
©Tom Palmer, some rights reserved (CC-BY-NC)
Neopamera albocincta
©Lee Elliott, some rights reserved (CC-BY-NC-SA)
Neopamera albocincta
©Eric Carpenter, some rights reserved (CC-BY-NC)
Neopamera albocincta
©Annika Lindqvist, some rights reserved (CC-BY)
Neopamera albocincta
©Annika Lindqvist, some rights reserved (CC-BY)
Neopamera albocincta
©Annika Lindqvist, some rights reserved (CC-BY)
Neopamera albocincta
©Elizabeth Rosenauer, some rights reserved (CC-BY-NC)
Neopamera albocincta
©Even Dankowicz, some rights reserved (CC-BY)
Neopamera albocincta
©melissa_m79, some rights reserved (CC-BY-NC)
Neopamera albocincta
©melissa_m79, some rights reserved (CC-BY-NC)
Neopamera albocincta
©Joe MDO, some rights reserved (CC-BY-NC)
Neopamera albocincta
©johncarlson, some rights reserved (CC-BY-NC)
Neopamera albocincta
©Ken, some rights reserved (CC-BY-NC)
Neopamera albocincta
©Ken, some rights reserved (CC-BY-NC)
Neopamera albocincta
©Ken, some rights reserved (CC-BY-NC)
Neopamera albocincta
©Ken, some rights reserved (CC-BY-NC)
Neopamera albocincta
©Ken, some rights reserved (CC-BY-NC)
Neopamera albocincta
©johncarlson, some rights reserved (CC-BY-NC)
Neopamera albocincta
©johncarlson, some rights reserved (CC-BY-NC)
Neopamera albocincta
©johncarlson, some rights reserved (CC-BY-NC)
Neopamera albocincta
©Bill, some rights reserved (CC-BY-NC)
Neopamera albocincta
©Joe MDO, some rights reserved (CC-BY-NC)
Neopamera albocincta
©lisnel, some rights reserved (CC-BY-NC)
Neopamera albocincta
©lisnel, some rights reserved (CC-BY-NC)
Neopamera albocincta
©Bill, some rights reserved (CC-BY-NC)
Neopamera albocincta
©Bill, some rights reserved (CC-BY-NC)
Neopamera albocincta
©Bill, some rights reserved (CC-BY-NC)
Neopamera albocincta
©Bill, some rights reserved (CC-BY-NC)
Neopamera albocincta
©Bill, some rights reserved (CC-BY-NC)
Neopamera albocincta
©Bill, some rights reserved (CC-BY-NC)
Neopamera albocincta
©Phillip Harpootlian, some rights reserved (CC-BY-NC)
Neopamera albocincta
©Joseph McPhail, some rights reserved (CC-BY)
Neopamera albocincta
©johncarlson, some rights reserved (CC-BY-NC)
Neopamera albocincta
©johncarlson, some rights reserved (CC-BY-NC)
Neopamera albocincta
©johncarlson, some rights reserved (CC-BY-NC)
Neopamera albocincta
©mdrouin0917, some rights reserved (CC-BY-NC)
Neopamera albocincta
©Joseph McPhail, some rights reserved (CC-BY)
Neopamera albocincta
©Ann Gordon, some rights reserved (CC-BY-NC)
Neopamera albocincta
©strix_v, some rights reserved (CC-BY-NC)
Neopamera albocincta
©peggyo, some rights reserved (CC-BY-NC)
Neopamera albocincta
©Robert Webster, some rights reserved (CC-BY-SA)
Neopamera albocincta
©Robert Webster, some rights reserved (CC-BY-SA)
Neopamera albocincta
©Robert Webster, some rights reserved (CC-BY-SA)
Neopamera albocincta
©Robert Webster, some rights reserved (CC-BY-SA)
Neopamera albocincta
©Robert Webster, some rights reserved (CC-BY-SA)
Neopamera albocincta
©Robert Webster, some rights reserved (CC-BY-SA)
Neopamera albocincta
©Ken, some rights reserved (CC-BY-NC)
Neopamera albocincta
©Robert Webster, some rights reserved (CC-BY-SA)
Neopamera albocincta
©Robert Webster, some rights reserved (CC-BY-SA)
Neopamera albocincta
©Ken, some rights reserved (CC-BY-NC)
Neopamera albocincta
©Ken, some rights reserved (CC-BY-NC)
Neopamera albocincta
©Ken, some rights reserved (CC-BY-NC)
Neopamera albocincta
©Ken, some rights reserved (CC-BY-NC)
Neopamera albocincta
©Ken, some rights reserved (CC-BY-NC)
Neopamera albocincta
©Robert Webster, some rights reserved (CC-BY-SA)
Neopamera albocincta
©Robert Webster, some rights reserved (CC-BY-SA)
Neopamera albocincta
©Robert Webster, some rights reserved (CC-BY-SA)
Neopamera albocincta
©Robert Webster, some rights reserved (CC-BY-SA)
Neopamera albocincta
©Robert Webster, some rights reserved (CC-BY-SA)
Neopamera albocincta
©Robert Webster, some rights reserved (CC-BY-SA)
Neopamera albocincta
©Robert Webster, some rights reserved (CC-BY-SA)
Neopamera albocincta
©Robert Webster, some rights reserved (CC-BY-SA)
Neopamera albocincta
©Robert Webster, some rights reserved (CC-BY-SA)
Neopamera albocincta
©Robert Webster, some rights reserved (CC-BY-SA)
Neopamera albocincta
©Robert Webster, some rights reserved (CC-BY-SA)
Neopamera albocincta
©Robert Webster, some rights reserved (CC-BY-SA)
Neopamera albocincta
©Robert Webster, some rights reserved (CC-BY-SA)
Neopamera albocincta
©Robert Webster, some rights reserved (CC-BY-SA)
Neopamera albocincta
©Robert Webster, some rights reserved (CC-BY-SA)
Neopamera albocincta
©Robert Webster, some rights reserved (CC-BY-SA)
Neopamera albocincta
©Robert Webster, some rights reserved (CC-BY-SA)
Neopamera albocincta
©Robert Webster, some rights reserved (CC-BY-SA)
Neopamera albocincta
©Robert Webster, some rights reserved (CC-BY-SA)
Neopamera albocincta
©Robert Webster, some rights reserved (CC-BY-SA)
Neopamera albocincta
©Robert Webster, some rights reserved (CC-BY-SA)
Neopamera albocincta
©Robert Webster, some rights reserved (CC-BY-SA)
Neopamera albocincta
©pinkspoonbill, some rights reserved (CC-BY-NC)
Neopamera albocincta
©Samuel Valdes, some rights reserved (CC-BY-NC-ND)
Neopamera albocincta
©inbetweenbays, some rights reserved (CC-BY)
Neopamera albocincta
©pinkspoonbill, some rights reserved (CC-BY-NC)
Neopamera albocincta
©Scarlette Atchison, some rights reserved (CC-BY-NC)
Neopamera albocincta
©Sequoia Janirella Wrens, some rights reserved (CC-BY-NC)
Neopamera albocincta
©Tom Murray, some rights reserved (CC-BY-NC)
Neopamera albocincta
©Tom Murray, some rights reserved (CC-BY-NC)
Neopamera albocincta
©Blake Bringhurst, some rights reserved (CC-BY)
Neopamera albocincta
©Blake Bringhurst, some rights reserved (CC-BY)
Neopamera albocincta
©Ana Josefa López Sandoval, some rights reserved (CC-BY-NC-SA)
Neopamera albocincta
©Ana Josefa López Sandoval, some rights reserved (CC-BY-NC-SA)
Neopamera albocincta
©Robert Webster, some rights reserved (CC-BY-SA)
Neopamera albocincta
©Robert Webster, some rights reserved (CC-BY-SA)
Neopamera albocincta
©Robert Webster, some rights reserved (CC-BY-SA)
Neopamera albocincta
©Robert Webster, some rights reserved (CC-BY-SA)
Neopamera albocincta
©Robert Webster, some rights reserved (CC-BY-SA)
Neopamera albocincta
©Robert Webster, some rights reserved (CC-BY-SA)
Neopamera albocincta
©Tom Murray, some rights reserved (CC-BY-NC)
Neopamera albocincta
©Brenda Bull, some rights reserved (CC-BY-NC)
Neopamera albocincta
©Stuart J. Marcus, some rights reserved (CC-BY-NC)
Neopamera albocincta
©Robert Webster, some rights reserved (CC-BY-SA)
Neopamera albocincta
©Robert Webster, some rights reserved (CC-BY-SA)