Neuroterus quercusbaccarum: taxon details and analytics
- Domain
- Kingdom
- Animalia
- Phylum
- Arthropoda
- Class
- Insecta
- Order
- Hymenoptera
- Family
- Cynipidae
- Genus
- Neuroterus
- Species
- Neuroterus quercusbaccarum
- Scientific Name
- Neuroterus quercusbaccarum
Summary description from Wikipedia:
Neuroterus quercusbaccarum
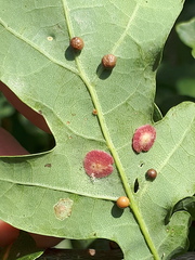
The common spangle gall on the underside of leaves and the currant gall on the male catkins or occasionally the leaves, develop as chemically induced distortions on pedunculate oak (Quercus robur), or sessile oak (Quercus petraea) trees, caused by the cynipid wasp Neuroterus quercusbaccarum which has both agamic and bisexual generations.
Previous names or synonyms for this species are Neuroterus baccarum, N. lenticularis, N. malpighii, Cynips lenticularis, C. quercus-baccarum, Spathegaster baccarum, S. varius, S. interruptor.
...Neuroterus quercusbaccarum in languages:
- Czech
- žlabatka hrášková
- Danish
- Linsegalhveps
- Dutch
- Gewone lensgalwesp
- Dutch
- Lensgalwesp
- English
- Common Spangle Gall Wasp
- English
- Currant Gall Wasp
- French
- Cynips de la galle groseille du chêne
- French
- Cynips de la galle lentille du chêne
- French
- Galle lenticulaire du Chêne
- German
- Eichenlinsengallwespe
- Hungarian
- Bogyógubacsdarázs
- Lithuanian
- Kekiškoji gumbavapsvė
- Polish
- Rewiś dębowy
- Russian
- Орехотворка виноградообразная
- Slovene
- lečasta hrastova šiškarica
Images from inaturalist.org observations:
We recommend you sign up for this excellent, free service.
Parent Taxon
Sibling Taxa
- Neuroterus albipes
- Neuroterus alexandrae
- Neuroterus aliceae
- Neuroterus anthracinus
- Neuroterus archboldi
- Neuroterus argentatus
- Neuroterus bassettii
- Neuroterus batatus
- Neuroterus bussae
- Neuroterus christi
- Neuroterus clarkeae
- Neuroterus clavensis
- Neuroterus cockerelli
- Neuroterus consimilis
- Neuroterus contortus
- Neuroterus cupulae
- Neuroterus distortus
- Neuroterus dubius
- Neuroterus ellongatum
- Neuroterus elvisi
- Neuroterus engelmanni
- Neuroterus escharensis
- Neuroterus evolutus
- Neuroterus floccosus
- Neuroterus fragilis
- Neuroterus fugiens
- Neuroterus gillettei
- Neuroterus glandiphilus
- Neuroterus howertoni
- Neuroterus junctor
- Neuroterus lamellae
- Neuroterus laurifoliae
- Neuroterus minutus
- Neuroterus nawai
- Neuroterus niger
- Neuroterus numismalis
- Neuroterus oblongifoliae
- Neuroterus pacificus
- Neuroterus pallidus
- Neuroterus politus
- Neuroterus pulchrigalla
- Neuroterus quaili
- Neuroterus quercicola
- Neuroterus quercusbaccarum
- Neuroterus quercusbatatus
- Neuroterus quercusirregularis
- Neuroterus quercusminutissimus
- Neuroterus quercusverrucarum
- Neuroterus reconditus
- Neuroterus rileyi
- Neuroterus rosieae
- Neuroterus sadlerensis
- Neuroterus saltarius
- Neuroterus saltatorius
- Neuroterus stonei
- Neuroterus tantulus
- Neuroterus tricolor
- Neuroterus tumba
- Neuroterus umbilicatus
- Neuroterus valhalla
- Neuroterus varians
- Neuroterus verrucarum
- Neuroterus vesicula
- Neuroterus virgens
- Neuroterus visibilis
- Neuroterus volutans
- Neuroterus vulpinus
- Neuroterus washingtonensis
Top Observation Places
- Ferrara
- Poole
- Białołeka
- Rueil-Malmaison
- Carlisle
- Plymouth
- Braunschweig
- Troisdorf
- Amadora
- Odivelas
- Bury
- Macclesfield
- Crawley
- Cambridge
- Brno
- Rennes
- Southampton
- Pavia
- Altamura
- Bristol
- Bath
- Kingswood
- Dudley
- Stourbridge
- Halesowen
- Nottingham
- Vienna
- Favoriten
- Floridsdorf
- Ottakring
- Meidling
- Hernals
- Hietzing
- Berlin
- Neukölln
- Kreuzberg
- Prenzlauer Berg
- Charlottenburg
- Schöneberg
- Mitte
- Wilmersdorf
- Gesundbrunnen
- Lichterfelde
- Wedding
- Reinickendorf
- Moabit
- Steglitz
- Pankow
- Tempelhof
- Zehlendorf































































































































































