Oculobrium: taxon details and analytics
- Domain
- Kingdom
- Animalia
- Phylum
- Arthropoda
- Class
- Insecta
- Order
- Coleoptera
- Family
- Cerambycidae
- Genus
- Oculobrium
- Species
- Scientific Name
- Oculobrium
Summary description from Wikipedia:
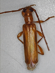
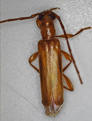
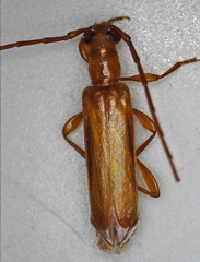
Oculobrium
Oculobrium is een kevergeslacht uit de familie van de boktorren (Cerambycidae). De wetenschappelijke naam van het geslacht werd voor het eerst geldig gepubliceerd in 2005 door Adlbauer.
...Images from inaturalist.org observations:
We recommend you sign up for this excellent, free service.
Parent Taxon
Sibling Taxa
- Anatolobrium
- Anisogaster
- Aristobrium
- Calobrium
- Capobrium
- Chinobrium
- Clavobrium
- Cleistimum
- Comusia
- Conobrium
- Cylindobrium
- Duffyoemida
- Gracilobrium
- Hologaster
- Hypomares
- Ibidionidum
- Iphra
- Kuegleria
- Laosobrium
- Longipalpus
- Mauritiobrium
- Mythozoum
- Obrioclytus
- Obrium
- Oculobrium
- Oemida
- Ossibia
- Oxilus
- Pseudiphra
- Pseudoculobrium
- Spathuliger
- Stenhomalus
- Transvaalobrium
- Wahn
- Zimbabobrium





























