Oeonistis entella: taxon details and analytics

Domain
Kingdom
Animalia
Phylum
Arthropoda
Class
Insecta
Order
Lepidoptera
Family
Erebidae
Genus
Oeonistis
Species
Oeonistis entella
Scientific Name
Oeonistis entella

Summary description from Wikipedia:

Oeonistis entella

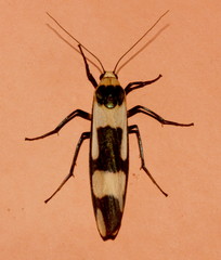
Oeonistis entella, the lichen moth, is a moth of the family Erebidae. It was described by Pieter Cramer in 1779. It is found in southern India, Myanmar and Sri Lanka.

...
 

Images from inaturalist.org observations:

We recommend you sign up for this excellent, free service.

Oeonistis entella
©Anis Sri Rahayu, some rights reserved (CC-BY-NC)
Oeonistis entella
©Inggit Tanti Sa'adah_017, some rights reserved (CC-BY-NC)
Oeonistis entella
©Inggit Tanti Sa'adah_017, some rights reserved (CC-BY-NC)
Oeonistis entella
©Seema Merchant, some rights reserved (CC-BY-NC)
Oeonistis entella
©Seema Merchant, some rights reserved (CC-BY-NC)
Oeonistis entella
©Chief RedEarth, some rights reserved (CC-BY-NC-ND)
Oeonistis entella
©Chief RedEarth, some rights reserved (CC-BY-NC-ND)
Oeonistis entella
©Chief RedEarth, some rights reserved (CC-BY-NC-ND)
Oeonistis entella
©Satish Nikam, some rights reserved (CC-BY-NC-SA)
Oeonistis entella
©Vijay Anand Ismavel, some rights reserved (CC-BY-NC)
Oeonistis entella
©Vijay Anand Ismavel, some rights reserved (CC-BY-NC)
Oeonistis entella
©Hopeland, some rights reserved (CC-BY)
Oeonistis entella
©Hopeland, some rights reserved (CC-BY)
Oeonistis entella
©minla8, some rights reserved (CC-BY-NC)
Oeonistis entella
©minla8, some rights reserved (CC-BY-NC)
Oeonistis entella
©nikhilasajeev, some rights reserved (CC-BY-NC)
Oeonistis entella
©Karim Imran, some rights reserved (CC-BY-NC)
Oeonistis entella
©Karim Imran, some rights reserved (CC-BY-NC)
Oeonistis entella
©Sandipan Das, some rights reserved (CC-BY)
Oeonistis entella
©Sandipan Das, some rights reserved (CC-BY)
Oeonistis entella
©Vijay Anand Ismavel, some rights reserved (CC-BY-NC-SA)
Oeonistis entella
©Vijay Anand Ismavel, some rights reserved (CC-BY-NC-SA)
Oeonistis entella
©Vijay Anand Ismavel, some rights reserved (CC-BY-NC-SA)
Oeonistis entella
©Satish Nikam, some rights reserved (CC-BY-NC-SA)
Oeonistis entella
©hasithasandaruvan, some rights reserved (CC-BY-NC)
Oeonistis entella
©KUMUD GHOSH, some rights reserved (CC-BY-NC)
Oeonistis entella
©Aravinth, some rights reserved (CC-BY-NC-ND)
Oeonistis entella
©Aravinth, some rights reserved (CC-BY-NC-ND)
Oeonistis entella
©Aravinth, some rights reserved (CC-BY-NC-ND)
Oeonistis entella
©Erik Delaquis, some rights reserved (CC-BY-NC)
Oeonistis entella
©Aravinth, some rights reserved (CC-BY-NC-ND)
Oeonistis entella
©Aravinth, some rights reserved (CC-BY-NC-ND)
Oeonistis entella
©Erik Delaquis, some rights reserved (CC-BY-NC)
Oeonistis entella
©joaobrito, some rights reserved (CC-BY-NC)
Oeonistis entella
©sunnyjosef, some rights reserved (CC-BY)
Oeonistis entella
©sunnyjosef, some rights reserved (CC-BY)
Oeonistis entella
©sunnyjosef, some rights reserved (CC-BY)
Oeonistis entella
©sunnyjosef, some rights reserved (CC-BY)
Oeonistis entella
©sunnyjosef, some rights reserved (CC-BY)
Oeonistis entella
©Gabe King, some rights reserved (CC-BY-NC)
Oeonistis entella
©Gabe King, some rights reserved (CC-BY-NC)
Oeonistis entella
©Gabe King, some rights reserved (CC-BY-NC)
Oeonistis entella
©Devika MB, some rights reserved (CC-BY)
Oeonistis entella
©Devika MB, some rights reserved (CC-BY)
Oeonistis entella
©Balakrishnan Ram, some rights reserved (CC-BY-NC)
Oeonistis entella
©najiyas, some rights reserved (CC-BY-NC)
Oeonistis entella
©najiyas, some rights reserved (CC-BY-NC)
Oeonistis entella
©najiyas, some rights reserved (CC-BY-NC)
Oeonistis entella
©najiyas, some rights reserved (CC-BY-NC)
Oeonistis entella
©Deepak, some rights reserved (CC-BY-NC)
Oeonistis entella
©Deepak, some rights reserved (CC-BY-NC)
Oeonistis entella
©Deepak, some rights reserved (CC-BY-NC)
Oeonistis entella
©Deepak, some rights reserved (CC-BY-NC)
Oeonistis entella
©Deepak, some rights reserved (CC-BY-NC)
Oeonistis entella
©Deepak, some rights reserved (CC-BY-NC)
Oeonistis entella
©Deepak, some rights reserved (CC-BY-NC)
Oeonistis entella
©Thomas Job, some rights reserved (CC-BY-NC)
Oeonistis entella
©Chandu Bandi, some rights reserved (CC-BY)
Oeonistis entella
©Mahesh A, some rights reserved (CC-BY-NC)
Oeonistis entella
©Arittha Wikramanayake, some rights reserved (CC-BY-NC)
Oeonistis entella
©Arittha Wikramanayake, some rights reserved (CC-BY-NC)
Oeonistis entella
©nithyasv, some rights reserved (CC-BY-NC)
Oeonistis entella
©Deepak, some rights reserved (CC-BY-NC)
Oeonistis entella
©Deepak, some rights reserved (CC-BY-NC)
Oeonistis entella
©Deepak, some rights reserved (CC-BY-NC)
Oeonistis entella
©chathura_udayanga, some rights reserved (CC-BY-NC)
Oeonistis entella
©Unnikrishnan M P, some rights reserved (CC-BY-NC)
Oeonistis entella
©Unnikrishnan M P, some rights reserved (CC-BY-NC)
Oeonistis entella
©Vinod Borse, some rights reserved (CC-BY-NC)
Oeonistis entella
©Vinod Borse, some rights reserved (CC-BY-NC)
Oeonistis entella
©nikhilasajeev, some rights reserved (CC-BY-NC)
Oeonistis entella
©kiranghadge, some rights reserved (CC-BY-NC)
Oeonistis entella
©Vena Kapoor, some rights reserved (CC-BY-NC)
Oeonistis entella
©Vena Kapoor, some rights reserved (CC-BY-NC)
Oeonistis entella
©sreyarth, some rights reserved (CC-BY-NC)
Oeonistis entella
©sreyarth, some rights reserved (CC-BY-NC)
Oeonistis entella
©Vena Kapoor, some rights reserved (CC-BY-NC)
Oeonistis entella
©Vena Kapoor, some rights reserved (CC-BY-NC)
Oeonistis entella
©Vena Kapoor, some rights reserved (CC-BY-NC)
Oeonistis entella
©Vena Kapoor, some rights reserved (CC-BY-NC)
Oeonistis entella
©minla8, some rights reserved (CC-BY-NC)
Oeonistis entella
©Michael and Nancy van der Poorten, some rights reserved (CC-BY-NC)
Oeonistis entella
©Pranav Chandra Bose, some rights reserved (CC0)
Oeonistis entella
©Subbu Ramanathan, some rights reserved (CC-BY-NC)
Oeonistis entella
©Subbu Ramanathan, some rights reserved (CC-BY-NC)
Oeonistis entella
©Subbu Ramanathan, some rights reserved (CC-BY-NC)
Oeonistis entella
©Subbu Ramanathan, some rights reserved (CC-BY-NC)
Oeonistis entella
©Subbu Ramanathan, some rights reserved (CC-BY-NC)
Oeonistis entella
©Rama Narayanan, some rights reserved (CC-BY)
Oeonistis entella
©desertnaturalist, some rights reserved (CC-BY)
Oeonistis entella
©desertnaturalist, some rights reserved (CC-BY)
Oeonistis entella
©desertnaturalist, some rights reserved (CC-BY)
Oeonistis entella
©desertnaturalist, some rights reserved (CC-BY)
Oeonistis entella
©Seema Merchant, some rights reserved (CC-BY-NC)
Oeonistis entella
©Seema Merchant, some rights reserved (CC-BY-NC)
Oeonistis entella
©sheheerali, some rights reserved (CC-BY-NC)
Oeonistis entella
©chathura, some rights reserved (CC-BY-NC)
Oeonistis entella
©jahir rayhan, some rights reserved (CC-BY-NC)
Oeonistis entella
©Rajib Rudra Tariang, some rights reserved (CC-BY-NC)
Oeonistis entella
©Daniel Roy, some rights reserved (CC-BY-NC)