Olene mendosa: taxon details and analytics
- Domain
- Kingdom
- Animalia
- Phylum
- Arthropoda
- Class
- Insecta
- Order
- Lepidoptera
- Family
- Erebidae
- Genus
- Olene
- Species
- Olene mendosa
- Scientific Name
- Olene mendosa
Summary description from Wikipedia:
Olene mendosa
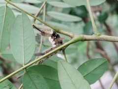
Olene mendosa, the brown tussock moth or hairy tussock moth, is a species of moth in the family Erebidae. The species was first described by Jacob Hübner in 1823. It is found in India, Bangladesh, Sri Lanka, Indonesia, Taiwan, Thailand and Australia.
...Olene mendosa in languages:
- Chinese
- 基斑毒蛾
- English
- Brown Tussock Moth
- Thai
- ผีเสื้อหนอนบุ้งหัวแดง
Images from inaturalist.org observations:
We recommend you sign up for this excellent, free service.






























































































































































