Orwellion gibbulum: taxon details and analytics

Domain
Kingdom
Animalia
Phylum
Arthropoda
Class
Insecta
Order
Coleoptera
Family
Cerambycidae
Genus
Orwellion
Species
Orwellion gibbulum
Scientific Name
Orwellion gibbulum

Summary description from Wikipedia:

Orwellion gibbulum

Orwellion gibbulum is a species of beetle in the family Cerambycidae. It was described by Bates in 1880.

...
 

Images from inaturalist.org observations:

We recommend you sign up for this excellent, free service.

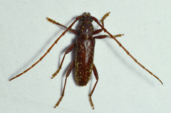
Orwellion gibbulum
©buffalobeal, some rights reserved (CC-BY-NC)
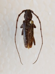
Orwellion gibbulum
©buffalobeal, some rights reserved (CC-BY-NC)
Orwellion gibbulum
©C. Mallory, some rights reserved (CC-BY-NC)
Orwellion gibbulum
©Joel DuBois, some rights reserved (CC-BY-NC)
Orwellion gibbulum
©Ken-ichi Ueda, some rights reserved (CC-BY)
Orwellion gibbulum
©Ken-ichi Ueda, some rights reserved (CC-BY)
Orwellion gibbulum
©James Bailey, some rights reserved (CC-BY-NC)
Orwellion gibbulum
©James Bailey, some rights reserved (CC-BY-NC)
Orwellion gibbulum
©James Bailey, some rights reserved (CC-BY-NC)
Orwellion gibbulum
©Laura Gaudette, some rights reserved (CC-BY)
Orwellion gibbulum
©Zane Holditch, some rights reserved (CC-BY-NC)
Orwellion gibbulum
©mike_h, some rights reserved (CC-BY-NC)
Orwellion gibbulum
©mike_h, some rights reserved (CC-BY-NC)
Orwellion gibbulum
©Wendy McCrady, some rights reserved (CC-BY)
Orwellion gibbulum
©James Bailey, some rights reserved (CC-BY-NC)
Orwellion gibbulum
©Matthew Salkiewicz, some rights reserved (CC-BY-NC)
Orwellion gibbulum
©Joel DuBois, some rights reserved (CC-BY-NC)
Orwellion gibbulum
©Christian Schwarz, some rights reserved (CC-BY-NC)
Orwellion gibbulum
©C. Mallory, some rights reserved (CC-BY-NC)
Orwellion gibbulum
©Jen Schlauch, some rights reserved (CC-BY-NC)
Orwellion gibbulum
©Joe Girgente, some rights reserved (CC-BY-NC)
Orwellion gibbulum
©jimeckert49, some rights reserved (CC-BY)
Orwellion gibbulum
©jimeckert49, some rights reserved (CC-BY)
Orwellion gibbulum
©Wendy McCrady, some rights reserved (CC-BY)
Orwellion gibbulum
©Wendy McCrady, some rights reserved (CC-BY)
Orwellion gibbulum
©Wendy McCrady, some rights reserved (CC-BY)
Orwellion gibbulum
©Wendy McCrady, some rights reserved (CC-BY)
Orwellion gibbulum
©buffalobeal, some rights reserved (CC-BY-NC)
Orwellion gibbulum
©James Bailey, some rights reserved (CC-BY-NC)