Skip to the navigation
.
Skip to the content
.
BioSurveys.org
Surveying life, socially, locally.
places search
taxa search
Color
Sign In
Oxycopis howdeni: taxon details and analytics
Domain
Kingdom
Animalia
Phylum
Arthropoda
Class
Insecta
Order
Coleoptera
Family
Oedemeridae
Genus
Oxycopis
Species
Oxycopis howdeni
Scientific Name
Oxycopis howdeni
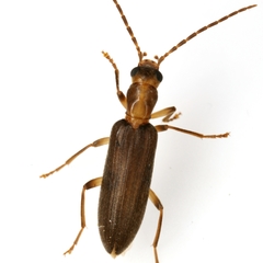
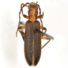
Images from inaturalist.org observations:
We recommend you sign up for this excellent, free service.
©Mike Quinn, Austin, TX, some rights reserved (CC-BY-NC)
©Mike Quinn, Austin, TX, some rights reserved (CC-BY-NC)
Parent Taxon
Oxycopis
Sibling Taxa
Oxycopis barberi
Oxycopis falli
Oxycopis floridana
Oxycopis galapagoensis
Oxycopis howdeni
Oxycopis mcdonaldi
Oxycopis metallica
Oxycopis mimetica
Oxycopis notoxoides
Oxycopis suturalis
Oxycopis thoracica
Oxycopis vittata
Top Observation Places
Share
Tweet
Back to Top
Biosurveys - Crowd Sourced Local Biogeography Login