Pamphilius hortorum: taxon details and analytics

Domain
Kingdom
Animalia
Phylum
Arthropoda
Class
Insecta
Order
Hymenoptera
Family
Pamphiliidae
Genus
Pamphilius
Species
Pamphilius hortorum
Scientific Name
Pamphilius hortorum

Summary description from Wikipedia:

Pamphilius hortorum

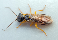
Pamphilius hortorum is a Palearctic species of sawfly.

...
 

Pamphilius hortorum in languages:

Japanese
クロズハラアカヒラタハバチ
Russian
Малинный западный пилильщик

Images from inaturalist.org observations:

We recommend you sign up for this excellent, free service.

Pamphilius hortorum
©Paul Cools, some rights reserved (CC-BY-NC)
Pamphilius hortorum
©Stefan, some rights reserved (CC-BY-NC)
Pamphilius hortorum
©Stefan, some rights reserved (CC-BY-NC)
Pamphilius hortorum
©Stefan, some rights reserved (CC-BY-NC)
Pamphilius hortorum
©Stefan, some rights reserved (CC-BY-NC)
Pamphilius hortorum
©Stefan, some rights reserved (CC-BY-NC)
Pamphilius hortorum
©Philip Mark Osso, some rights reserved (CC-BY-NC)
Pamphilius hortorum
©Philip Mark Osso, some rights reserved (CC-BY-NC)
Pamphilius hortorum
©Philip Mark Osso, some rights reserved (CC-BY-NC)
Pamphilius hortorum
©Erland Refling Nielsen, some rights reserved (CC-BY-NC)
Pamphilius hortorum
©Herman Berteler, some rights reserved (CC-BY-NC)
Pamphilius hortorum
©Herman Berteler, some rights reserved (CC-BY-NC)
Pamphilius hortorum
©Paul G. Schrijvershof, some rights reserved (CC-BY-NC-ND)
Pamphilius hortorum
©Paul G. Schrijvershof, some rights reserved (CC-BY-NC-ND)
Pamphilius hortorum
©lucyna_bugiera, some rights reserved (CC-BY-NC)
Pamphilius hortorum
©lucyna_bugiera, some rights reserved (CC-BY-NC)
Pamphilius hortorum
©Christian Sørensen, some rights reserved (CC-BY-NC)
Pamphilius hortorum
©Christian Sørensen, some rights reserved (CC-BY-NC)
Pamphilius hortorum
©Andrei, some rights reserved (CC-BY-NC)
Pamphilius hortorum
©Marie Lou Legrand, some rights reserved (CC-BY-NC)
Pamphilius hortorum
©Marie Lou Legrand, some rights reserved (CC-BY-NC)
Pamphilius hortorum
©Marie Lou Legrand, some rights reserved (CC-BY-NC)
Pamphilius hortorum
©Pentti Ketola, some rights reserved (CC-BY-NC)
Pamphilius hortorum
©Pentti Ketola, some rights reserved (CC-BY-NC)
Pamphilius hortorum
©Pentti Ketola, some rights reserved (CC-BY-NC)
Pamphilius hortorum
©Stefan, some rights reserved (CC-BY-NC)
Pamphilius hortorum
©Stefan, some rights reserved (CC-BY-NC)
Pamphilius hortorum
©Stefan, some rights reserved (CC-BY-NC)
Pamphilius hortorum
©Stefan, some rights reserved (CC-BY-NC)
Pamphilius hortorum
©Stefan, some rights reserved (CC-BY-NC)
Pamphilius hortorum
©Stefan, some rights reserved (CC-BY-NC)
Pamphilius hortorum
©Stefan, some rights reserved (CC-BY-NC)
Pamphilius hortorum
©Stefan, some rights reserved (CC-BY-NC)
Pamphilius hortorum
©Stefan, some rights reserved (CC-BY-NC)
Pamphilius hortorum
©Stefan, some rights reserved (CC-BY-NC)
Pamphilius hortorum
©Stefan, some rights reserved (CC-BY-NC)
Pamphilius hortorum
©Michael Knapp, some rights reserved (CC-BY)
Pamphilius hortorum
©Michael Knapp, some rights reserved (CC-BY)
Pamphilius hortorum
©Michael Knapp, some rights reserved (CC-BY)
Pamphilius hortorum
©Michael Knapp, some rights reserved (CC-BY)
Pamphilius hortorum
©Соколков Юрий Павлович, some rights reserved (CC-BY-NC)
Pamphilius hortorum
©Соколков Юрий Павлович, some rights reserved (CC-BY-NC)
Pamphilius hortorum
©Соколков Юрий Павлович, some rights reserved (CC-BY-NC)
Pamphilius hortorum
©Соколков Юрий Павлович, some rights reserved (CC-BY-NC)
Pamphilius hortorum
©Соколков Юрий Павлович, some rights reserved (CC-BY-NC)
Pamphilius hortorum
©Соколков Юрий Павлович, some rights reserved (CC-BY-NC)
Pamphilius hortorum
©helleh, some rights reserved (CC-BY-NC)
Pamphilius hortorum
©helleh, some rights reserved (CC-BY-NC)
Pamphilius hortorum
©hellengarlov, some rights reserved (CC-BY-NC)
Pamphilius hortorum
©Bryan Smith, some rights reserved (CC-BY-NC)
Pamphilius hortorum
©Ewa Rauner-Bułczyńska, some rights reserved (CC-BY-NC)
Pamphilius hortorum
©Ewa Rauner-Bułczyńska, some rights reserved (CC-BY-NC)
Pamphilius hortorum
©Соколков Юрий Павлович, some rights reserved (CC-BY-NC)
Pamphilius hortorum
©Соколков Юрий Павлович, some rights reserved (CC-BY-NC)
Pamphilius hortorum
©Соколков Юрий Павлович, some rights reserved (CC-BY-NC)
Pamphilius hortorum
©Соколков Юрий Павлович, some rights reserved (CC-BY-NC)
Pamphilius hortorum
©Соколков Юрий Павлович, some rights reserved (CC-BY-NC)