Panorpa acuta: taxon details and analytics
- Domain
- Kingdom
- Animalia
- Phylum
- Arthropoda
- Class
- Insecta
- Order
- Mecoptera
- Family
- Panorpidae
- Genus
- Panorpa
- Species
- Panorpa acuta
- Scientific Name
- Panorpa acuta
Summary description from Wikipedia:
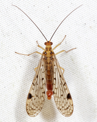
Panorpa acuta
Panorpa acuta is a species of common scorpionfly in the family Panorpidae. It is found in North America.
...Images from inaturalist.org observations:
We recommend you sign up for this excellent, free service.
Parent Taxon
Sibling Taxa
- Panorpa acuta
- Panorpa alpina
- Panorpa amamiensis
- Panorpa americana
- Panorpa amurensis
- Panorpa annexa
- Panorpa anomala
- Panorpa approximata
- Panorpa arakavae
- Panorpa arcuata
- Panorpa attenuata
- Panorpa aurea
- Panorpa azteca
- Panorpa banksi
- Panorpa bicornuta
- Panorpa bifasciata
- Panorpa bimacula
- Panorpa bistriata
- Panorpa braueri
- Panorpa caoweii
- Panorpa carolinensis
- Panorpa caucasica
- Panorpa cheni
- Panorpa cladocerca
- Panorpa claripennis
- Panorpa clavigera
- Panorpa cognata
- Panorpa communis
- Panorpa connexa
- Panorpa consuetudinis
- Panorpa contorta
- Panorpa coreana
- Panorpa cornigera
- Panorpa cryptica
- Panorpa curva
- Panorpa curvata
- Panorpa dali
- Panorpa dashahensis
- Panorpa davidi
- Panorpa debilis
- Panorpa deceptor
- Panorpa decolorata
- Panorpa dichotoma
- Panorpa duanyu
- Panorpa dubitans
- Panorpa emeishana
- Panorpa esakii
- Panorpa etrusca
- Panorpa fengyanga
- Panorpa ferruginea
- Panorpa flexa
- Panorpa floridana
- Panorpa fluvicaudaria
- Panorpa fulvicaudaria
- Panorpa galerita
- Panorpa germanica
- Panorpa globulifera
- Panorpa gokaensis
- Panorpa gressitti
- Panorpa guttata
- Panorpa hageniana
- Panorpa hani
- Panorpa helena
- Panorpa hirundo
- Panorpa hiurai
- Panorpa huangguiqiangi
- Panorpa hungerfordi
- Panorpa hybrida
- Panorpa immaculata
- Panorpa implicata
- Panorpa indivisa
- Panorpa insigna
- Panorpa insolens
- Panorpa insularis
- Panorpa involuta
- Panorpa ishiharai
- Panorpa isolata
- Panorpa issikiana
- Panorpa japonica
- Panorpa jiangrixini
- Panorpa jinfoshana
- Panorpa jinhuaensis
- Panorpa kiusiuensis
- Panorpa kongosana
- Panorpa kunmingensis
- Panorpa lacedaemonia
- Panorpa latiloba
- Panorpa latipennis
- Panorpa leucoptera
- Panorpa lewisi
- Panorpa liaoi
- Panorpa liui
- Panorpa longiramina
- Panorpa lugubris
- Panorpa lutea
- Panorpa maculosa
- Panorpa meridionalis
- Panorpa mexicana
- Panorpa mirabilis
- Panorpa mokansana
- Panorpa mucronata
- Panorpa multifasciaria
- Panorpa nanzhao
- Panorpa nebulosa
- Panorpa neglecta
- Panorpa nigrirostris
- Panorpa nipponensis
- Panorpa nudiramus
- Panorpa nuptialis
- Panorpa obliqua
- Panorpa obliquifascia
- Panorpa ochraceocauda
- Panorpa ochraceopennis
- Panorpa oconee
- Panorpa okamotona
- Panorpa okinawaensis
- Panorpa orientalis
- Panorpa pachymera
- Panorpa palustris
- Panorpa parallela
- Panorpa penicillata
- Panorpa peterseana
- Panorpa pieperi
- Panorpa pingjiangensis
- Panorpa pryeri
- Panorpa punctata
- Panorpa quadrifasciata
- Panorpa ramosa
- Panorpa reclusa
- Panorpa reflexa
- Panorpa rosemaria
- Panorpa rufa
- Panorpa rufescens
- Panorpa rufostigma
- Panorpa rupeculana
- Panorpa sentosa
- Panorpa serta
- Panorpa sibirica
- Panorpa sigmoides
- Panorpa similis
- Panorpa speciosa
- Panorpa stella
- Panorpa stigmalis
- Panorpa striata
- Panorpa subfurcata
- Panorpa submaculosa
- Panorpa substricta
- Panorpa takenouchii
- Panorpa tatvana
- Panorpa terminata
- Panorpa tetrazonia
- Panorpa thompsoni
- Panorpa tokunoshimaensis
- Panorpa trifasciata
- Panorpa trizonata
- Panorpa tsunekatani
- Panorpa umbricola
- Panorpa venosa
- Panorpa vernalis
- Panorpa virginica
- Panorpa vulgaris
- Panorpa waongkehzengi
- Panorpa wormaldi
- Panorpa xiaofeng
- Panorpa xuzhu
- Panorpa zhuohengi
























