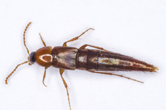
Parabolitobius: taxon details and analytics
- Domain
- Kingdom
- Animalia
- Phylum
- Arthropoda
- Class
- Insecta
- Order
- Coleoptera
- Family
- Staphylinidae
- Genus
- Parabolitobius
- Species
- Scientific Name
- Parabolitobius
Images from inaturalist.org observations:
We recommend you sign up for this excellent, free service.






