Paraepepeotes togatus: taxon details and analytics
- Domain
- Kingdom
- Animalia
- Phylum
- Arthropoda
- Class
- Insecta
- Order
- Coleoptera
- Family
- Cerambycidae
- Genus
- Paraepepeotes
- Species
- Paraepepeotes togatus
- Scientific Name
- Paraepepeotes togatus
Summary description from Wikipedia:
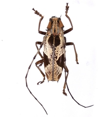
Paraepepeotes togatus
Paraepepeotes togatus is a species of beetle in the family Cerambycidae. It was described by Perroud in 1855, originally under the genus Monohammus. It is known from Papua New Guinea, Australia, and Moluccas.
...
