Paranthrene simulans: taxon details and analytics
- Domain
- Kingdom
- Animalia
- Phylum
- Arthropoda
- Class
- Insecta
- Order
- Lepidoptera
- Family
- Sesiidae
- Genus
- Paranthrene
- Species
- Paranthrene simulans
- Scientific Name
- Paranthrene simulans
Summary description from Wikipedia:
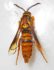
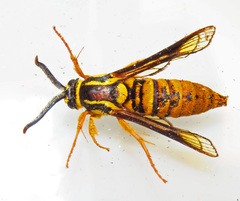
Paranthrene simulans
Paranthrene simulans, the red oak clearwing borer, hornet clearwing or oak clearwing borer, is a moth of the family Sesiidae. It is found in eastern North America, from Nova Scotia to Florida, west to Minnesota, Missouri and Mississippi.
The wingspan is 27–40 mm. Adults emerge during June and July.
The larvae feed on chestnuts and oaks (including red and white oaks). They have a two-year life cycle.
...Paranthrene simulans in languages:
- English
- Hornet Clearwing Moth
Images from inaturalist.org observations:
We recommend you sign up for this excellent, free service.
Parent Taxon
Sibling Taxa
- Paranthrene anthrax
- Paranthrene asilipennis
- Paranthrene callipleura
- Paranthrene chalcochlora
- Paranthrene chrysochloris
- Paranthrene cyanaris
- Paranthrene diaphana
- Paranthrene dollii
- Paranthrene dukei
- Paranthrene fenestrata
- Paranthrene flammans
- Paranthrene insolita
- Paranthrene insularis
- Paranthrene karli
- Paranthrene mesothyris
- Paranthrene ochroptera
- Paranthrene pellucida
- Paranthrene porphyractis
- Paranthrene propyria
- Paranthrene regale
- Paranthrene robiniae
- Paranthrene rubomacula
- Paranthrene simulans
- Paranthrene tabaniformis
- Paranthrene thalassina
- Paranthrene xanthosoma









































































































































