Parectopa pennsylvaniella: taxon details and analytics
- Domain
- Kingdom
- Animalia
- Phylum
- Arthropoda
- Class
- Insecta
- Order
- Lepidoptera
- Family
- Gracillariidae
- Genus
- Parectopa
- Species
- Parectopa pennsylvaniella
- Scientific Name
- Parectopa pennsylvaniella
Summary description from Wikipedia:
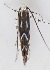
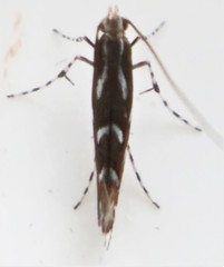
Parectopa pennsylvaniella
Parectopa pennsylvaniella is a moth of the family Gracillariidae. Its habitat extends from Québec, Canada, to the states of New York, Ohio, Connecticut, Kentucky, Maine and Pennsylvania in the United States.
The wingspan is about 7 mm.
The larvae feed on Symphyotrichum cordifolium. They probably mine the leaves of their host plant.
...Images from inaturalist.org observations:
We recommend you sign up for this excellent, free service.
Parent Taxon
Sibling Taxa
- Parectopa albicostella
- Parectopa alysidota
- Parectopa bumeliella
- Parectopa lespedezaefoliella
- Parectopa leucocyma
- Parectopa nesitis
- Parectopa ononidis
- Parectopa pennsylvaniella
- Parectopa picroglossa
- Parectopa plantaginisella
- Parectopa pulverella
- Parectopa robiniella
- Parectopa rotigera
- Parectopa thermopsella
- Parectopa undosa
















































































