Parotis punctiferalis: taxon details and analytics
- Domain
- Kingdom
- Animalia
- Phylum
- Arthropoda
- Class
- Insecta
- Order
- Lepidoptera
- Family
- Crambidae
- Genus
- Parotis
- Species
- Parotis punctiferalis
- Scientific Name
- Parotis punctiferalis
Summary description from Wikipedia:
Parotis punctiferalis
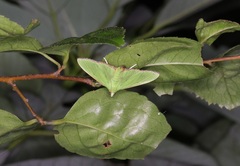
Parotis punctiferalis is a moth in the family Crambidae. It was described by Francis Walker in 1866. It is found in New Guinea, Australia and China.
The wingspan is 36–37 mm.
The larvae feed on Apocynaceae species, including Melodinus species.
...Images from inaturalist.org observations:
We recommend you sign up for this excellent, free service.
Parent Taxon
Sibling Taxa
- Parotis ankaratralis
- Parotis arachnealis
- Parotis athysanota
- Parotis baldersalis
- Parotis bitjealis
- Parotis chlorochroalis
- Parotis costiulalis
- Parotis costulalis
- Parotis fasciculata
- Parotis impia
- Parotis incurvata
- Parotis invernalis
- Parotis laceritalis
- Parotis margarita
- Parotis marginata
- Parotis marinata
- Parotis niphopepla
- Parotis ogasawarensis
- Parotis pomonalis
- Parotis prasinalis
- Parotis prasinophila
- Parotis punctiferalis
- Parotis pusillalis
- Parotis pyritalis
- Parotis squamitibialis
- Parotis squamopedalis
- Parotis suralis
- Parotis triangulalis
- Parotis tritonalis
- Parotis vernalis
- Parotis zambesalis












































































































