Parupeneus insularis: taxon details and analytics

Domain
Kingdom
Animalia
Phylum
Chordata
Class
Actinopterygii
Order
Syngnathiformes
Family
Mullidae
Genus
Parupeneus
Species
Parupeneus insularis
Scientific Name
Parupeneus insularis

Summary description from Wikipedia:

Parupeneus insularis

Parupeneus insularis es una especie de peces de la familia Mullidae en el orden de los Perciformes.

...
 

Parupeneus insularis in languages:

Czech
parmice dvousedlá
English
Doublebar Goatfish
English
Island Goatfish
English
Twosaddle goatfish
English
Joe Louis
English
Two-barred goatfish
French
Poisson chèvre insulaire
Japanese
フタオビミナミヒメジ

Images from inaturalist.org observations:

We recommend you sign up for this excellent, free service.

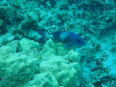
Parupeneus insularis
©Francois Libert, some rights reserved (CC-BY-NC-SA)
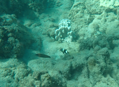
Parupeneus insularis
©Richard Hasegawa, some rights reserved (CC-BY-NC)
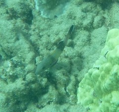
Parupeneus insularis
©Richard Hasegawa, some rights reserved (CC-BY-NC)
Parupeneus insularis
©Richard Hasegawa, some rights reserved (CC-BY-NC)
Parupeneus insularis
©Richard Hasegawa, some rights reserved (CC-BY-NC)
Parupeneus insularis
©Richard Hasegawa, some rights reserved (CC-BY-NC)
Parupeneus insularis
©Paul Norwood, some rights reserved (CC-BY-NC)
Parupeneus insularis
©Paul Norwood, some rights reserved (CC-BY-NC)
Parupeneus insularis
©uwkwaj, some rights reserved (CC-BY-NC)
Parupeneus insularis
©Paul Asman, some rights reserved (CC-BY-NC)
Parupeneus insularis
©Sheldon Logan, some rights reserved (CC-BY-NC)
Parupeneus insularis
©Sheldon Logan, some rights reserved (CC-BY-NC)
Parupeneus insularis
©David R, some rights reserved (CC-BY-NC)
Parupeneus insularis
©Francois Libert, some rights reserved (CC-BY-NC-SA)
Parupeneus insularis
©Sue, some rights reserved (CC-BY-NC)
Parupeneus insularis
©Sue, some rights reserved (CC-BY-NC)
Parupeneus insularis
©Sylvie Omnès, some rights reserved (CC-BY-NC)
Parupeneus insularis
©sea-kangaroo, some rights reserved (CC-BY-NC-ND)
Parupeneus insularis
©David R, some rights reserved (CC-BY-NC)
Parupeneus insularis
©Paul Norwood, some rights reserved (CC-BY-NC)
Parupeneus insularis
©coltonfishing, some rights reserved (CC-BY-NC)
Parupeneus insularis
©coltonfishing, some rights reserved (CC-BY-NC)
Parupeneus insularis
©David R, some rights reserved (CC-BY-NC)
Parupeneus insularis
©jfletch10, some rights reserved (CC-BY-NC)
Parupeneus insularis
©Paul Norwood, some rights reserved (CC-BY-NC)
Parupeneus insularis
©Paul Norwood, some rights reserved (CC-BY-NC)
Parupeneus insularis
©Paul Norwood, some rights reserved (CC-BY-NC)
Parupeneus insularis
©uwkwaj, some rights reserved (CC-BY-NC)
Parupeneus insularis
©David R, some rights reserved (CC-BY-NC)
Parupeneus insularis
©jackson-in-the-pulpit, some rights reserved (CC-BY-NC)
Parupeneus insularis
©Robert Webster, some rights reserved (CC-BY-SA)
Parupeneus insularis
©David R, some rights reserved (CC-BY-NC)
Parupeneus insularis
©Matt Muir, some rights reserved (CC-BY-SA)
Parupeneus insularis
©Zack Abbey, some rights reserved (CC-BY)
Parupeneus insularis
©David R, some rights reserved (CC-BY-NC)
Parupeneus insularis
©Donna Pomeroy, some rights reserved (CC-BY-NC)
Parupeneus insularis
©mdettling, some rights reserved (CC-BY)
Parupeneus insularis
©Meghan Cassidy, some rights reserved (CC-BY-SA)
Parupeneus insularis
©Bridget Spencer, some rights reserved (CC-BY-NC)
Parupeneus insularis
©Marty Purdy, some rights reserved (CC-BY)
Parupeneus insularis
©Marty Purdy, some rights reserved (CC-BY)
Parupeneus insularis
©Marty Purdy, some rights reserved (CC-BY)
Parupeneus insularis
©cli22, some rights reserved (CC-BY-NC)
Parupeneus insularis
©Evan Trotzuk, some rights reserved (CC-BY-NC)
Parupeneus insularis
©Craig Fujii, some rights reserved (CC-BY-NC-ND)
Parupeneus insularis
©Harry Rosenthal, some rights reserved (CC-BY-NC)
Parupeneus insularis
©sdmariee, some rights reserved (CC-BY-NC)
Parupeneus insularis
©sdmariee, some rights reserved (CC-BY-NC)
Parupeneus insularis
©Taylor Justason, some rights reserved (CC-BY-NC)
Parupeneus insularis
©Oscar Johnson, some rights reserved (CC-BY-NC-ND)
Parupeneus insularis
©msimon2252, some rights reserved (CC-BY-NC)
Parupeneus insularis
©jeyre, some rights reserved (CC-BY-NC)
Parupeneus insularis
©jeyre, some rights reserved (CC-BY-NC)
Parupeneus insularis
©Ryan Rash, some rights reserved (CC-BY-NC)
Parupeneus insularis
©Lawrence Troup, some rights reserved (CC-BY-NC)
Parupeneus insularis
©Craig Fujii, some rights reserved (CC-BY-NC-ND)
Parupeneus insularis
©Tom Turner, some rights reserved (CC-BY-NC)
Parupeneus insularis
©Michael R Ostrowski, some rights reserved (CC-BY-NC)
Parupeneus insularis
©bhodder, some rights reserved (CC-BY-NC)
Parupeneus insularis
©Hunter H, some rights reserved (CC-BY)
Parupeneus insularis
©Sara Thiebaud, some rights reserved (CC-BY-NC)
Parupeneus insularis
©argentinosaurus, some rights reserved (CC-BY-NC)
Parupeneus insularis
©argentinosaurus, some rights reserved (CC-BY-NC)
Parupeneus insularis
©johnbotany, some rights reserved (CC-BY-NC)
Parupeneus insularis
©Paul Asman, some rights reserved (CC-BY-NC)
Parupeneus insularis
©Bryan Guarente, some rights reserved (CC-BY-NC)
Parupeneus insularis
©Michael Woodruff, some rights reserved (CC-BY-NC)
Parupeneus insularis
©Michael Woodruff, some rights reserved (CC-BY-NC)
Parupeneus insularis
©Michael Woodruff, some rights reserved (CC-BY-NC)
Parupeneus insularis
©guyincognito, some rights reserved (CC-BY-NC)
Parupeneus insularis
©guyincognito, some rights reserved (CC-BY-NC)
Parupeneus insularis
©brock, some rights reserved (CC-BY-NC)
Parupeneus insularis
©wyattherp, some rights reserved (CC-BY-NC)
Parupeneus insularis
©wyattherp, some rights reserved (CC-BY-NC)
Parupeneus insularis
©Sue, some rights reserved (CC-BY-NC)
Parupeneus insularis
©Sue, some rights reserved (CC-BY-NC)
Parupeneus insularis
©Sue, some rights reserved (CC-BY-NC)
Parupeneus insularis
©Sue, some rights reserved (CC-BY-NC)
Parupeneus insularis
©Sue, some rights reserved (CC-BY-NC)
Parupeneus insularis
©Sue, some rights reserved (CC-BY-NC)
Parupeneus insularis
©Sue, some rights reserved (CC-BY-NC)
Parupeneus insularis
©Lawrence Troup, some rights reserved (CC-BY-NC)
Parupeneus insularis
©Lawrence Troup, some rights reserved (CC-BY-NC)
Parupeneus insularis
©Sheldon Logan, some rights reserved (CC-BY-NC)
Parupeneus insularis
©Sheldon Logan, some rights reserved (CC-BY-NC)
Parupeneus insularis
©Sheldon Logan, some rights reserved (CC-BY-NC)
Parupeneus insularis
©skfork, some rights reserved (CC-BY-NC)
Parupeneus insularis
©Lawrence Troup, some rights reserved (CC-BY-NC)
Parupeneus insularis
©Caleb Helsel, some rights reserved (CC-BY-NC)
Parupeneus insularis
©argentinosaurus, some rights reserved (CC-BY-NC)
Parupeneus insularis
©David R, some rights reserved (CC-BY-NC)
Parupeneus insularis
©Tom Turner, some rights reserved (CC-BY-NC)
Parupeneus insularis
©Tom Turner, some rights reserved (CC-BY-NC)