Skip to the navigation
.
Skip to the content
.
BioSurveys.org
Surveying life, socially, locally.
places search
taxa search
Color
Sign In
Pascoepus nymphias: taxon details and analytics
Domain
Kingdom
Animalia
Phylum
Arthropoda
Class
Insecta
Order
Hemiptera
Family
Cicadellidae
Genus
Pascoepus
Species
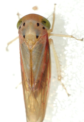
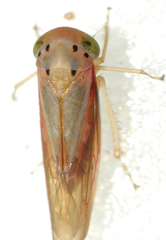
Pascoepus nymphias
Scientific Name
Pascoepus nymphias
Images from inaturalist.org observations:
We recommend you sign up for this excellent, free service.
©vuk, some rights reserved (CC-BY-NC)
©vuk, some rights reserved (CC-BY-NC)
©vuk, some rights reserved (CC-BY-NC)
©vuk, some rights reserved (CC-BY-NC)
Parent Taxon
Pascoepus
Sibling Taxa
Pascoepus illawarrus
Pascoepus nymphias
Top Observation Places
Share
Tweet
Back to Top
Biosurveys - Crowd Sourced Local Biogeography Login