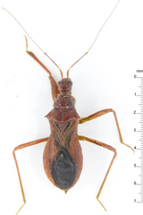
Pasiropsis: taxon details and analytics
- Domain
- Kingdom
- Animalia
- Phylum
- Arthropoda
- Class
- Insecta
- Order
- Hemiptera
- Family
- Reduviidae
- Genus
- Pasiropsis
- Species
- Scientific Name
- Pasiropsis
Parent Taxon
Sibling Taxa
- Acanthaspis
- Alleocranium
- Apechtia
- Apteroreduvius
- Archilestidium
- Australocleptes
- Censorinus
- Centrogonus
- Cerilocus
- Cyclopocoris
- Diplosiacanthia
- Durganda
- Dyakocoris
- Ectametacanthus
- Ectmetacanthus
- Edocla
- Edoclella
- Gnistus
- Holotrichius
- Horcinia
- Inara
- Khafra
- Korinchocoris
- Leogorrus
- Leptacanthaspis
- Mardania
- Microlestria
- Microvarus
- Nalata
- Neivacoris
- Neostachyogenys
- Neotrichedocla
- Noualhierana
- Opisthacidius
- Pasira
- Pasiropsis
- Peregrinator
- Perissopygocoris
- Phonergates
- Platymeris
- Plynoides
- Pseudozelurus
- Psophis
- Psytalla
- Reduvius
- Schoutedenana
- Sphedanocoris
- Staliastes
- Tapeinus
- Tetroxia
- Tiarodes
- Timotheus
- Trichedocla
- Varus
- Velitra
- Zeluroides
- Zelurus

