Pempheris adusta: taxon details and analytics
- Domain
- Kingdom
- Animalia
- Phylum
- Chordata
- Class
- Actinopterygii
- Order
- Acropomatiformes
- Family
- Pempheridae
- Genus
- Pempheris
- Species
- Pempheris adusta
- Scientific Name
- Pempheris adusta
Summary description from Wikipedia:
Pempheris adusta
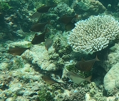
Pempheris adusta, the dusky sweeper, is a species of marine ray-finned fish in the family Pempheridae, the sweepers. It is common species on coral reefs in the Indo-Pacific region.
...Pempheris adusta in languages:
- Czech
- metařík osmahlý
- English
- Dusky Sweeper
- French
- Balayeur sombre
- Japanese
- リュウキュウハタンポ
Images from inaturalist.org observations:
We recommend you sign up for this excellent, free service.
Parent Taxon
Sibling Taxa
- Pempheris adspersa
- Pempheris adusta
- Pempheris affinis
- Pempheris analis
- Pempheris andilana
- Pempheris argyrea
- Pempheris bexillon
- Pempheris bineeshi
- Pempheris bruggemanni
- Pempheris compressa
- Pempheris connelli
- Pempheris convexa
- Pempheris cuprea
- Pempheris darvelli
- Pempheris eatoni
- Pempheris ellipse
- Pempheris erythraea
- Pempheris familia
- Pempheris flavicycla
- Pempheris gasparinii
- Pempheris hadra
- Pempheris heemstraorum
- Pempheris hollemani
- Pempheris ibo
- Pempheris itoi
- Pempheris japonica
- Pempheris klunzingeri
- Pempheris kruppi
- Pempheris kuriamuria
- Pempheris leiolepis
- Pempheris malabarica
- Pempheris mangula
- Pempheris megalops
- Pempheris micromma
- Pempheris molucca
- Pempheris multiradiata
- Pempheris muscat
- Pempheris nesogallica
- Pempheris nyctereutes
- Pempheris orbis
- Pempheris ornata
- Pempheris otaitensis
- Pempheris oualensis
- Pempheris pathirana
- Pempheris peza
- Pempheris poeyi
- Pempheris rapa
- Pempheris rhomboidea
- Pempheris rochai
- Pempheris rubricauda
- Pempheris russellii
- Pempheris sarayu
- Pempheris sasakii
- Pempheris schomburgkii
- Pempheris schreineri
- Pempheris schwenkii
- Pempheris sergey
- Pempheris shimoni
- Pempheris shirleen
- Pempheris smithorum
- Pempheris tau
- Pempheris ternay
- Pempheris tilman
- Pempheris tiran
- Pempheris tominagai
- Pempheris trinco
- Pempheris ufuagari
- Pempheris vanicolensis
- Pempheris viridis
- Pempheris wilsoni
- Pempheris xanthomma
- Pempheris xanthoptera
- Pempheris ypsilychnus
- Pempheris zajonzi










































