Peritrechus convivus: taxon details and analytics
- Domain
- Kingdom
- Animalia
- Phylum
- Arthropoda
- Class
- Insecta
- Order
- Hemiptera
- Family
- Rhyparochromidae
- Genus
- Peritrechus
- Species
- Peritrechus convivus
- Scientific Name
- Peritrechus convivus
Summary description from Wikipedia:
Peritrechus convivus
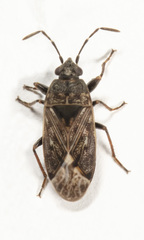
Peritrechus convivus is a species of dirt-colored seed bug in the family Rhyparochromidae. It is found in Europe and Northern Asia (excluding China), Central America, and North America.
...Peritrechus convivus in languages:
- Finnish
- rantaharmolude
Images from inaturalist.org observations:
We recommend you sign up for this excellent, free service.
Parent Taxon
Sibling Taxa
- Peritrechus angusticollis
- Peritrechus convivus
- Peritrechus femoralis
- Peritrechus flavicornis
- Peritrechus fraternus
- Peritrechus geniculatus
- Peritrechus gracilicornis
- Peritrechus lundii
- Peritrechus meridionalis
- Peritrechus nubilus
- Peritrechus paludemaris
- Peritrechus pusillus
- Peritrechus rhomboidalis
- Peritrechus tristis














