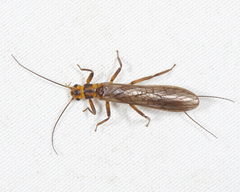
Perlinella drymo: taxon details and analytics
- Domain
- Kingdom
- Animalia
- Phylum
- Arthropoda
- Class
- Insecta
- Order
- Plecoptera
- Family
- Perlidae
- Genus
- Perlinella
- Species
- Perlinella drymo
- Scientific Name
- Perlinella drymo
Summary description from Wikipedia:
Perlinella drymo in languages:
- English
- Striped Stone
Images from inaturalist.org observations:
We recommend you sign up for this excellent, free service.








