Peronospora sparsa: taxon details and analytics
- Domain
- Kingdom
- Chromista
- Phylum
- Oomycota
- Class
- Peronosporomycetes
- Order
- Peronosporales
- Family
- Peronosporaceae
- Genus
- Peronospora
- Species
- Peronospora sparsa
- Scientific Name
- Peronospora sparsa
Summary description from Wikipedia:
Peronospora sparsa
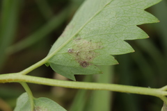
Peronospora sparsa is an oomycete plant pathogen that causes downy mildew in berry producing plants; especially in the genus's Rubus and Rosa. Downy mildew plant pathogens are often host specific and cause problems in cloudberries, blackberries, boysenberries, strawberries, and arctic bramble. Since they are host specific, Peronospora sparsa will not cause downy mildew in grapes because a different plant pathogen causes downy mildew in grapes; Plasmopara viticola. Although it depends on the cultivar, symptoms do not normally start until later stages of disease and can look different on different plants. The most common symptoms include red lesions in the veins of leaves, with dry and deformed berries.
...Peronospora sparsa in languages:
- Dutch
- Valse meeldauw van de roos
Images from inaturalist.org observations:
We recommend you sign up for this excellent, free service.
Parent Taxon
Sibling Taxa
- Peronospora aestivalis
- Peronospora affinis
- Peronospora agrestis
- Peronospora agrimoniae
- Peronospora alchemillae
- Peronospora alpicola
- Peronospora alsinearum
- Peronospora alta
- Peronospora alyssi-calycini
- Peronospora antirrhini
- Peronospora aparines
- Peronospora aquilegiicola
- Peronospora arabidis-hirsutae
- Peronospora arborescens
- Peronospora arenariae
- Peronospora arthurii
- Peronospora arvensis
- Peronospora asperuginis
- Peronospora astragalina
- Peronospora axyridis
- Peronospora belbahrii
- Peronospora boni-henrici
- Peronospora bulbocapni
- Peronospora calepinae
- Peronospora calotheca
- Peronospora campestris
- Peronospora candida
- Peronospora canescens
- Peronospora chelidonii
- Peronospora chenopodii
- Peronospora chenopodii-polyspermi
- Peronospora chlorae
- Peronospora chorisporae
- Peronospora chrysosplenii
- Peronospora claytoniae
- Peronospora conferta
- Peronospora conglomerata
- Peronospora consolidae
- Peronospora corollae
- Peronospora coronillae
- Peronospora coronillicola
- Peronospora corydalis
- Peronospora corydalis-intermediae
- Peronospora cyparissiae
- Peronospora cytisi
- Peronospora davisii
- Peronospora debaryi
- Peronospora destructor
- Peronospora dianthi
- Peronospora dianthicola
- Peronospora dicentrae
- Peronospora digitalis
- Peronospora dipsaci
- Peronospora ducometii
- Peronospora echinospermi
- Peronospora effusa
- Peronospora eranthidis
- Peronospora erodii
- Peronospora ervi
- Peronospora erythraeae
- Peronospora euphorbiae
- Peronospora euphorbiae-glyptospermae
- Peronospora euphorbiae-thymifoliae
- Peronospora ficariae
- Peronospora flava
- Peronospora fulva
- Peronospora galii
- Peronospora galii-veri
- Peronospora gei
- Peronospora gigantea
- Peronospora glechomae
- Peronospora grisea
- Peronospora hariotii
- Peronospora hiemalis
- Peronospora holostei
- Peronospora honckenyae
- Peronospora hydrophylli
- Peronospora hyoscyami
- Peronospora illyrica
- Peronospora jaapiana
- Peronospora jacksonii
- Peronospora knautiae
- Peronospora kochiae-scopariae
- Peronospora lagerheimii
- Peronospora lamii
- Peronospora lanceolatae
- Peronospora lathyri-aphacae
- Peronospora lathyri-humilis
- Peronospora lathyri-palustris
- Peronospora lathyri-verni
- Peronospora lathyrina
- Peronospora linariae
- Peronospora lini
- Peronospora lophanthi
- Peronospora lotorum
- Peronospora manshurica
- Peronospora matthiolae
- Peronospora mayorii
- Peronospora media
- Peronospora melampyri
- Peronospora melampyri-cristati
- Peronospora melandryi
- Peronospora meliloti
- Peronospora menioci
- Peronospora mesembryanthemi
- Peronospora myosotidis
- Peronospora myosuri
- Peronospora narbonensis
- Peronospora obovata
- Peronospora ochroleuca
- Peronospora odessana
- Peronospora oerteliana
- Peronospora ornithopi
- Peronospora parva
- Peronospora paula
- Peronospora phlogina
- Peronospora polygoni
- Peronospora polygoni-convolvuli
- Peronospora potentillae
- Peronospora radii
- Peronospora ranunculi
- Peronospora ranunculi-sardoi
- Peronospora ranunculi-steveni
- Peronospora romanica
- Peronospora rossica
- Peronospora rumicis
- Peronospora salviae-officinalis
- Peronospora sepium
- Peronospora sisymbrii-officinalis
- Peronospora solenanthi
- Peronospora sordida
- Peronospora sparsa
- Peronospora stachydis
- Peronospora symphyti
- Peronospora tetragonolobi
- Peronospora teucrii
- Peronospora trifoliorum
- Peronospora trivialis
- Peronospora valerianae
- Peronospora valerianellae
- Peronospora variabilis
- Peronospora verbasci
- Peronospora verbenae
- Peronospora verna
- Peronospora vernalis
- Peronospora viciae
- Peronospora violacea
- Peronospora violae
















