Philonthus carbonarius: taxon details and analytics
- Domain
- Kingdom
- Animalia
- Phylum
- Arthropoda
- Class
- Insecta
- Order
- Coleoptera
- Family
- Staphylinidae
- Genus
- Philonthus
- Species
- Philonthus carbonarius
- Scientific Name
- Philonthus carbonarius
Summary description from Wikipedia:
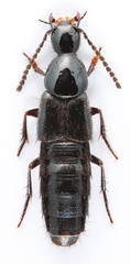
Philonthus carbonarius
Philonthus carbonarius es una especie de escarabajo del género Philonthus, familia Staphylinidae. Fue descrita científicamente por Gravenhorst en 1802.
Se distribuye por Europa. Habita en Rusia (Europa, Siberia, Lejano Oriente), Argelia, islas Canarias, Georgia, Turquía, Irán, Kazajistán, Kirguistán, Uzbekistán, India, Nepal, Mongolia y China (Heilongjiang). Especie introducida en Canadá y los Estados Unidos.
...Images from inaturalist.org observations:
We recommend you sign up for this excellent, free service.
Parent Taxon
Sibling Taxa
- Philonthus abnormalis
- Philonthus accedens
- Philonthus actocharis
- Philonthus addendus
- Philonthus aeneipennis
- Philonthus aenescens
- Philonthus aequalis
- Philonthus albipes
- Philonthus alius
- Philonthus alpinus
- Philonthus alumnus
- Philonthus alutaceus
- Philonthus apheles
- Philonthus arizonensis
- Philonthus asper
- Philonthus atratus
- Philonthus atricolor
- Philonthus aurulentus
- Philonthus binotatus
- Philonthus biskrensis
- Philonthus blossius
- Philonthus boreas
- Philonthus brunneus
- Philonthus burrowsi
- Philonthus busiris
- Philonthus caeruleipennis
- Philonthus caerulescens
- Philonthus carbonarius
- Philonthus carinulatus
- Philonthus castaneus
- Philonthus caucasicus
- Philonthus caurinus
- Philonthus cautus
- Philonthus celatus
- Philonthus centralis
- Philonthus cephalotes
- Philonthus cerambus
- Philonthus chalceus
- Philonthus cinctipennis
- Philonthus circumductus
- Philonthus cochleatus
- Philonthus cognatus
- Philonthus concinnus
- Philonthus confinis
- Philonthus convalescens
- Philonthus coprophilus
- Philonthus corruscus
- Philonthus coruscus
- Philonthus corvinus
- Philonthus couleensis
- Philonthus crinitus
- Philonthus crotchi
- Philonthus cruentatus
- Philonthus cunctans
- Philonthus cyanipennis
- Philonthus dampfi
- Philonthus davus
- Philonthus debilis
- Philonthus decorus
- Philonthus dimidiatipennis
- Philonthus dimidiatus
- Philonthus discedens
- Philonthus discoideus
- Philonthus discretus
- Philonthus distans
- Philonthus duplicatus
- Philonthus duploseriatus
- Philonthus ebeninus
- Philonthus ephippius
- Philonthus eryx
- Philonthus fenyesi
- Philonthus feralis
- Philonthus ferreipenis
- Philonthus ferreipennis
- Philonthus fibularius
- Philonthus figulus
- Philonthus fimetarius
- Philonthus flavibasis
- Philonthus flavipes
- Philonthus flavolimbatus
- Philonthus flohri
- Philonthus flumineus
- Philonthus fulcinius
- Philonthus fumarius
- Philonthus furcifer
- Philonthus furvus
- Philonthus fuscatus
- Philonthus fusiformis
- Philonthus gaudens
- Philonthus gentilis
- Philonthus gopheri
- Philonthus gracilior
- Philonthus grandicollis
- Philonthus guerreroensis
- Philonthus hepaticus
- Philonthus heteropus
- Philonthus hirtiventris
- Philonthus hoegei
- Philonthus hudsonicus
- Philonthus hyperboreus
- Philonthus incertus
- Philonthus infirmus
- Philonthus innocuus
- Philonthus insularis
- Philonthus intermedius
- Philonthus irakoiranicus
- Philonthus iris
- Philonthus iteratus
- Philonthus jalapensis
- Philonthus janus
- Philonthus japonicus
- Philonthus jurgans
- Philonthus kaszabi
- Philonthus lacustrinus
- Philonthus laetipennis
- Philonthus laevicollis
- Philonthus laeviventris
- Philonthus laminatus
- Philonthus lecontei
- Philonthus leechensis
- Philonthus lepidus
- Philonthus lindrothi
- Philonthus lomatus
- Philonthus longicornis
- Philonthus macilentus
- Philonthus mannerheimi
- Philonthus marginatus
- Philonthus marginipennis
- Philonthus melampus
- Philonthus melancholicus
- Philonthus melanopus
- Philonthus micans
- Philonthus micantoides
- Philonthus misellus
- Philonthus mnemon
- Philonthus monaeses
- Philonthus montivagus
- Philonthus morosus
- Philonthus neonatus
- Philonthus nigerrimus
- Philonthus nigrita
- Philonthus nimbicola
- Philonthus nitidicollis
- Philonthus nitidus
- Philonthus nudus
- Philonthus nugax
- Philonthus occidentalis
- Philonthus ochromerus
- Philonthus oenotrus
- Philonthus ohianensis
- Philonthus opacipennis
- Philonthus optatus
- Philonthus ovaticeps
- Philonthus paederoides
- Philonthus palliatus
- Philonthus palmatus
- Philonthus parvicornis
- Philonthus pauxillus
- Philonthus peratriceps
- Philonthus perversus
- Philonthus pettiti
- Philonthus piceatus
- Philonthus politus
- Philonthus prescottianus
- Philonthus proportionalis
- Philonthus pseudolodes
- Philonthus pseudovarians
- Philonthus puberulus
- Philonthus pubes
- Philonthus punctifer
- Philonthus punctus
- Philonthus pyropterus
- Philonthus quadricollis
- Philonthus quadrulus
- Philonthus quisquiliarius
- Philonthus rectangulus
- Philonthus rectilaterus
- Philonthus rotundicollis
- Philonthus rubripennis
- Philonthus rufimanus
- Philonthus rufipes
- Philonthus rufiventris
- Philonthus rufoplagiatus
- Philonthus rufulus
- Philonthus rusticus
- Philonthus salinus
- Philonthus sallaei
- Philonthus sanguinolentus
- Philonthus schwarzi
- Philonthus scintillatus
- Philonthus semicyaneus
- Philonthus semiruber
- Philonthus sericans
- Philonthus sericinus
- Philonthus serpens
- Philonthus sessor
- Philonthus siegwaldii
- Philonthus silvestris
- Philonthus sinuatocollis
- Philonthus solitarius
- Philonthus sordidus
- Philonthus speculicollis
- Philonthus sphagnorum
- Philonthus spiniformis
- Philonthus spinipes
- Philonthus splendens
- Philonthus stictus
- Philonthus subvirescens
- Philonthus succicola
- Philonthus suspectus
- Philonthus tachiniformis
- Philonthus tardus
- Philonthus temporalis
- Philonthus tenuicornis
- Philonthus testaceipennis
- Philonthus testudo
- Philonthus thoracicus
- Philonthus triangulum
- Philonthus turbidus
- Philonthus turbo
- Philonthus umbratilis
- Philonthus umbratus
- Philonthus umbrinoides
- Philonthus umbrinus
- Philonthus vagepunctatus
- Philonthus validus
- Philonthus varians
- Philonthus variipennis
- Philonthus varro
- Philonthus velatipennis
- Philonthus ventralis
- Philonthus viridipennis
- Philonthus vulgatus
- Philonthus wuesthoffi






































































