Phoracantha ancoralis: taxon details and analytics
- Domain
- Kingdom
- Animalia
- Phylum
- Arthropoda
- Class
- Insecta
- Order
- Coleoptera
- Family
- Cerambycidae
- Genus
- Phoracantha
- Species
- Phoracantha ancoralis
- Scientific Name
- Phoracantha ancoralis
Summary description from Wikipedia:
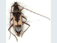
Phoracantha ancoralis
Phoracantha ancoralis es una especie de escarabajo del género Phoracantha, familia Cerambycidae. Fue descrita científicamente por Wang en 1995.
Esta especie se encuentra en Australia.
Mide 2 centímetros de longitud.
...Parent Taxon
Sibling Taxa
- Phoracantha acanthocera
- Phoracantha alternata
- Phoracantha ancoralis
- Phoracantha complicata
- Phoracantha concolor
- Phoracantha cruciata
- Phoracantha elegans
- Phoracantha flavopicta
- Phoracantha frenchi
- Phoracantha guttata
- Phoracantha immaculata
- Phoracantha lata
- Phoracantha longipennis
- Phoracantha mastersii
- Phoracantha mitchelli
- Phoracantha montana
- Phoracantha obscura
- Phoracantha odewahnii
- Phoracantha perbella
- Phoracantha phaea
- Phoracantha placenta
- Phoracantha porosa
- Phoracantha punctata
- Phoracantha recurva
- Phoracantha rugithoracica
- Phoracantha savesi
- Phoracantha semipunctata
- Phoracantha solida
- Phoracantha superans
- Phoracantha synonyma
- Phoracantha tricuspis


