Phyllobaenus verticalis: taxon details and analytics
- Domain
- Kingdom
- Animalia
- Phylum
- Arthropoda
- Class
- Insecta
- Order
- Coleoptera
- Family
- Cleridae
- Genus
- Phyllobaenus
- Species
- Phyllobaenus verticalis
- Scientific Name
- Phyllobaenus verticalis
Summary description from Wikipedia:
Phyllobaenus verticalis
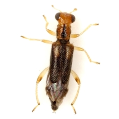
Phyllobaenus verticalis is a species of checkered beetle in the family Cleridae. It is found in North America. Larvae develop within and prey upon wood-boring beetles, and thus can be found in dead hardwood.
...Images from inaturalist.org observations:
We recommend you sign up for this excellent, free service.
Parent Taxon
Sibling Taxa
- Phyllobaenus aeneicollis
- Phyllobaenus affiliatus
- Phyllobaenus arizonicus
- Phyllobaenus atriplexus
- Phyllobaenus bicolor
- Phyllobaenus cinctus
- Phyllobaenus coeruleipennis
- Phyllobaenus corticinus
- Phyllobaenus cribripennis
- Phyllobaenus discoideus
- Phyllobaenus dubius
- Phyllobaenus humeralis
- Phyllobaenus knausii
- Phyllobaenus lecontei
- Phyllobaenus maritimus
- Phyllobaenus niveifascius
- Phyllobaenus obscurus
- Phyllobaenus pallipennis
- Phyllobaenus pubescens
- Phyllobaenus rufipes
- Phyllobaenus scaber
- Phyllobaenus subfasciatus
- Phyllobaenus tricolor
- Phyllobaenus unifasciatus
- Phyllobaenus verticalis
- Phyllobaenus wickhami
















































