Phymata: taxon details and analytics
- Domain
- Kingdom
- Animalia
- Phylum
- Arthropoda
- Class
- Insecta
- Order
- Hemiptera
- Family
- Reduviidae
- Genus
- Phymata
- Species
- Scientific Name
- Phymata
Summary description from Wikipedia:
Phymata
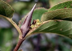
Phymata is a genus of assassin bugs belonging to the family Reduviidae, subfamily Phymatinae, commonly called jagged ambush bugs. Their coloration is variable, often helping to camouflage them on the plants where they live. They are predators, found in the Americas and Palaearctic realm.
...Phymata in languages:
- Czech
- hranatka
- English
- Jagged Ambush Bugs
Images from inaturalist.org observations:
We recommend you sign up for this excellent, free service.
Parent Taxon
Child Taxa
- Phymata albopicta
- Phymata americana
- Phymata annulipes
- Phymata arctostaphylae
- Phymata barbieri
- Phymata borica
- Phymata brailovskyi
- Phymata carinata
- Phymata chilensis
- Phymata communis
- Phymata crassipes
- Phymata erosa
- Phymata fasciata
- Phymata fortificata
- Phymata granulosa
- Phymata guerini
- Phymata luteomarginata
- Phymata luxa
- Phymata maculata
- Phymata metcalfi
- Phymata monstrosa
- Phymata noualhieri
- Phymata pacifica
- Phymata parva
- Phymata pennsylvanica
- Phymata rhynocerata
- Phymata rossi
- Phymata saileri
- Phymata salicis
- Phymata severini
- Phymata turnbowi
- Phymata vicina
Top Observation Places
- La Crosse
- Eugene
- Lynchburg
- Knoxville
- Amherst
- Lafayette
- Xalapa de Enríquez
- Iowa City
- Nashville
- Boise
- Syracuse
- Norman
- Greater Sudbury
- Athens
- Colorado Springs
- Chapel Hill
- Fayetteville
- Aurora
- Saskatoon
- Santa Fe
- Santo Tomé
- St. Catharines
- Levittown
- Portland
- Hamden
- London
- Ann Arbor
- Parma
- Caledon
- Fort Collins
- Detroit
- Windsor
- Columbia
- Ellicott City
- Milwaukee
- West Allis
- Champaign
- Hartford
- West Hartford
- Columbus
- West Albany
- New Orleans
- Fountainebleau
- Kendale Lakes
- Tamiami
- The Hammocks
- Lakewood
- Boulder
- Tulsa
- Broken Arrow































































































































































