Phytocoris: taxon details and analytics
- Domain
- Kingdom
- Animalia
- Phylum
- Arthropoda
- Class
- Insecta
- Order
- Hemiptera
- Family
- Miridae
- Genus
- Phytocoris
- Species
- Scientific Name
- Phytocoris
Summary description from Wikipedia:
Phytocoris
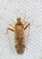
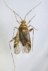
Phytocoris is a genus of plant bugs in the family Miridae. There are more than 700 described species in Phytocoris.
The members of this genus have long hind legs, with hind femora about twice the length of the mid and front femora and tibiae. They are found on every continent except Antarctica.
...Images from inaturalist.org observations:
We recommend you sign up for this excellent, free service.
Parent Taxon
Sibling Taxa
- Actinonotus
- Adelphocoris
- Adelphocorisella
- Adphytocoris
- Agnocoris
- Alloeonotus
- Allorhinocoris
- Anexochus
- Anthophilolygus
- Apantilius
- Aphanosoma
- Apolygopsis
- Apolygus
- Argenis
- Atahualpacoris
- Austrocapsus
- Austropeplus
- Babacoris
- Bertsa
- Bifaciomiris
- Bipuncticoris
- Bolivarmiris
- Bolteria
- Brachycoleus
- Calocoris
- Calocorisca
- Calondas
- Camponotidea
- Camptozygum
- Capsodes
- Capsus
- Carvalhocapsus
- Castanopsides
- Charagochilus
- Cheilocapsidea
- Cheilocapsus
- Chilocrates
- Chinamiris
- Chrysodasia
- Closterotomus
- Coccobaphes
- Creontiades
- Cyphodema
- Cyphodemidea
- Dagbertus
- Derophthalma
- Dichrooscytus
- Diognetus
- Diomocoris
- Dionconotus
- Ectopiocerus
- Elthemidea
- Eolygus
- Epimecellus
- Euchilocoris
- Eurystylopsis
- Eurystylus
- Fangumellus
- Galapagomiris
- Ganocapsus
- Garganus
- Gigantomiris
- Gotoshinomiris
- Gracilimiris
- Grypocoris
- Guianella
- Gutrida
- Hadrodemus
- Henicocnemis
- Henrylygus
- Heterolygus
- Heteropantilius
- Horcias
- Horciasinus
- Horciasisca
- Horciasoides
- Horistus
- Horwathia
- Iberolygus
- Irbisia
- Iridopeplus
- Ischnoscelicoris
- Josifovolygus
- Kiwimiris
- Knightomiris
- Koreocoris
- Lampethusa
- Lincolnia
- Liocapsus
- Liocoris
- Loristes
- Lucitanus
- Lygidea
- Lygidolon
- Lygocorides
- Lygocoris
- Lygus
- Macrolygus
- Malayamiridius
- Maxacalinus
- Megacoelum
- Mermitelocerus
- Metriorrhynchomiris
- Micromimetus
- Minasmiris
- Minytus
- Miridius
- Miris
- Miyamotolygus
- Monalocorisca
- Monopharsus
- Neoborella
- Neoborops
- Neocapsus
- Neolygus
- Neomegacoelum
- Neosapinnius
- Neostenotus
- Neurocolpus
- Niastama
- Nonlygus
- Notholopisca
- Notholopus
- Odontoplatys
- Oecophyllodes
- Ommatodema
- Orientomiris
- Orthops
- Pachylygus
- Pachypterna
- Pantilius
- Pappus
- Paramiridius
- Peltidolygus
- Philostephanus
- Phytocoris
- Piasus
- Pinalitopsis
- Pinalitus
- Platylygus
- Pleurochilophorus
- Poeas
- Poecilocapsus
- Poeciloscytus
- Polymerias
- Polymerus
- Poppiocapsidea
- Poppiolygus
- Poppiomegacoelum
- Proba
- Proboscidocoris
- Prolygus
- Pseudomegacoelum
- Pseudopantilius
- Pycnocoris
- Rauniella
- Reuterista
- Rhabdomiris
- Rhabdoscytus
- Sabactiopus
- Salignus
- Saundersiella
- Sidnia
- Stenoparedra
- Stenotus
- Stittocapsus
- Taedia
- Taurocalocoris
- Taylorilygus
- Thiomiris
- Tinginotopsis
- Tinginotum
- Tolongia
- Tropidosteptes
- Tuicoris
- Ulumiris
- Urucuiana
- Volumnus
- Wekamiris
- Yamatolygus
- Zalmunna
- Zygimus
Child Taxa
- Phytocoris abeillei
- Phytocoris acaciae
- Phytocoris adspersus
- Phytocoris aesculinus
- Phytocoris alamogordo
- Phytocoris albellus
- Phytocoris albidopictus
- Phytocoris albifrons
- Phytocoris albolineatus
- Phytocoris anabasidis
- Phytocoris angusticollis
- Phytocoris annulicornis
- Phytocoris antennalis
- Phytocoris apache
- Phytocoris arganiae
- Phytocoris arizonensis
- Phytocoris austriacus
- Phytocoris becki
- Phytocoris berbericola
- Phytocoris bergianus
- Phytocoris bituberis
- Phytocoris bivittatus
- Phytocoris bonaeriensis
- Phytocoris borealis
- Phytocoris borregoi
- Phytocoris brachymerus
- Phytocoris breviusculus
- Phytocoris brimleyi
- Phytocoris brooksi
- Phytocoris buenoi
- Phytocoris californicus
- Phytocoris canadensis
- Phytocoris carapezzai
- Phytocoris carnosulus
- Phytocoris ceanothicus
- Phytocoris cinereus
- Phytocoris citrinus
- Phytocoris confluens
- Phytocoris confusus
- Phytocoris coniferales
- Phytocoris consors
- Phytocoris conspersipes
- Phytocoris conspicuus
- Phytocoris conspurcatus
- Phytocoris corticevivens
- Phytocoris crux
- Phytocoris cunealis
- Phytocoris curicoensis
- Phytocoris cyprius
- Phytocoris damocles
- Phytocoris davisi
- Phytocoris decurvatus
- Phytocoris delicatulus
- Phytocoris depictus
- Phytocoris difformis
- Phytocoris dike
- Phytocoris dimidiatus
- Phytocoris diversus
- Phytocoris djerablisus
- Phytocoris driesbachi
- Phytocoris dumicola
- Phytocoris echinopis
- Phytocoris effictus
- Phytocoris electilis
- Phytocoris enmerkar
- Phytocoris erectus
- Phytocoris eurekae
- Phytocoris exemplus
- Phytocoris eximius
- Phytocoris exoletus
- Phytocoris extensus
- Phytocoris falcatus
- Phytocoris fenestratus
- Phytocoris flammula
- Phytocoris fraterculus
- Phytocoris fuscipennis
- Phytocoris fuscosignatus
- Phytocoris geniculatus
- Phytocoris gilgamesh
- Phytocoris goryeonus
- Phytocoris hettenshawi
- Phytocoris hirsutulus
- Phytocoris hirtus
- Phytocoris hoffmani
- Phytocoris hopi
- Phytocoris humeralis
- Phytocoris husseyi
- Phytocoris hypoleucoides
- Phytocoris incanus
- Phytocoris infuscatus
- Phytocoris inops
- Phytocoris insignis
- Phytocoris interspersus
- Phytocoris intricatus
- Phytocoris irroratus
- Phytocoris iyribozi
- Phytocoris jucundus
- Phytocoris juliae
- Phytocoris juniperanus
- Phytocoris juniperi
- Phytocoris junipericola
- Phytocoris kerrvillensis
- Phytocoris kiowa
- Phytocoris laevis
- Phytocoris lasiomerus
- Phytocoris lenti
- Phytocoris limonii
- Phytocoris linnavuorii
- Phytocoris longipennis
- Phytocoris loralis
- Phytocoris lugalbanda
- Phytocoris luteolus
- Phytocoris maricopae
- Phytocoris maritimus
- Phytocoris matocqi
- Phytocoris meridionalis
- Phytocoris michiganae
- Phytocoris minakatai
- Phytocoris miniatus
- Phytocoris minituberculatus
- Phytocoris minor
- Phytocoris miridioides
- Phytocoris nabataeus
- Phytocoris navajo
- Phytocoris neglectus
- Phytocoris nicholi
- Phytocoris nigricollis
- Phytocoris niveatus
- Phytocoris nowickyi
- Phytocoris obliquoides
- Phytocoris obliquus
- Phytocoris obsoletus
- Phytocoris occidentalis
- Phytocoris ohataensis
- Phytocoris oleae
- Phytocoris olseni
- Phytocoris onustus
- Phytocoris pallidicollis
- Phytocoris pallidicornis
- Phytocoris parvulus
- Phytocoris phrygicus
- Phytocoris piceicola
- Phytocoris pilifer
- Phytocoris pini
- Phytocoris pinicola
- Phytocoris pinihalepensis
- Phytocoris planituberis
- Phytocoris plenus
- Phytocoris pluotae
- Phytocoris poecilus
- Phytocoris politus
- Phytocoris populi
- Phytocoris puella
- Phytocoris pulchellus
- Phytocoris pulchricollis
- Phytocoris purshiae
- Phytocoris purvus
- Phytocoris quercicola
- Phytocoris quercinus
- Phytocoris ramosus
- Phytocoris raunoi
- Phytocoris relativus
- Phytocoris reticulatus
- Phytocoris reuteri
- Phytocoris rjabovi
- Phytocoris roseipennis
- Phytocoris roseotinctus
- Phytocoris roseus
- Phytocoris rosmarini
- Phytocoris rostratus
- Phytocoris rubellus
- Phytocoris rubrimaculatus
- Phytocoris rubroornatus
- Phytocoris rufoscriptus
- Phytocoris sagax
- Phytocoris salicis
- Phytocoris salsolae
- Phytocoris sanctipetri
- Phytocoris schuhi
- Phytocoris scitulus
- Phytocoris scotinus
- Phytocoris seidenstueckeri
- Phytocoris selvagensis
- Phytocoris seminotatus
- Phytocoris setiger
- Phytocoris shabliovskii
- Phytocoris signatipes
- Phytocoris simulatus
- Phytocoris somersojae
- Phytocoris squamosus
- Phytocoris stellatus
- Phytocoris stitti
- Phytocoris strigosus
- Phytocoris subvittatus
- Phytocoris sweihanus
- Phytocoris tauricola
- Phytocoris tauricus
- Phytocoris taxodii
- Phytocoris tenerum
- Phytocoris tenuis
- Phytocoris texanus
- Phytocoris thymi
- Phytocoris tibialis
- Phytocoris tiliae
- Phytocoris trichopterus
- Phytocoris tricinctus
- Phytocoris tridens
- Phytocoris ulmi
- Phytocoris uniformis
- Phytocoris ustulatus
- Phytocoris validus
- Phytocoris vanduzeei
- Phytocoris varipes
- Phytocoris vau
- Phytocoris ventralis
- Phytocoris viberti
- Phytocoris vigens
- Phytocoris vinaceus
- Phytocoris virescens
- Phytocoris viridescens
- Phytocoris vittiger
- Phytocoris weidneri
- Phytocoris yollabollae
Top Observation Places
- Bowling Green
- Greater Sudbury
- Coyoacán
- London
- Montpellier
- New York City
- Manhattan
- East Harlem
- Chinatown
- East Village
- Financial District
- Mott Haven
- Saint-Laurent
- Notre-Dame-de-Grâce
- Chinatown
- Cambridge
- Ottakring
- Hernals
- Hietzing
- Royal Tunbridge Wells
- Towson
- Gainesville
- Concord
- Simi Valley
- Toronto
- Winnipeg
- Lewisville
- Richmond Hill
- Cathedral City
- Palm Desert
- Boulder
- Waterloo
- San Jose
- Wheaton
- Fort Worth
- Washington
- Arlington
- Silver Spring
- Bethesda
- Hamden
- Tucson
- Catalina Foothills
- Reston
- Anaheim
- Santa Ana
- Irvine
- Orange
- Fullerton
- Tustin
- La Habra































































































































































