Perloidea: taxon details and analytics
- Domain
- Kingdom
- Animalia
- Phylum
- Arthropoda
- Class
- Insecta
- Order
- Plecoptera
- Family
- Genus
- Species
- Scientific Name
- Perloidea
Summary description from Wikipedia:
Perloidea
Perloidea är en överfamilj av bäcksländor. Perloidea ingår i ordningen bäcksländor, klassen egentliga insekter, fylumet leddjur och riket djur. Enligt Catalogue of Life omfattar överfamiljen Perloidea 1451 arter.
Kladogram enligt Catalogue of Life:
...Perloidea in languages:
- Chinese
- 石蠅總科
- Japanese
- カワゲラ上科
- Korean
- 강도래상과
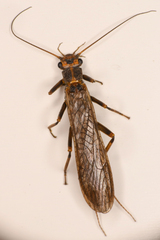
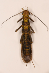
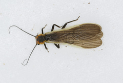
Images from inaturalist.org observations:
We recommend you sign up for this excellent, free service.





























































































































































