Perlidae: taxon details and analytics
- Domain
- Kingdom
- Animalia
- Phylum
- Arthropoda
- Class
- Insecta
- Order
- Plecoptera
- Family
- Perlidae
- Genus
- Species
- Scientific Name
- Perlidae
Summary description from Wikipedia:
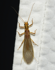
Perlidae
The Perlidae are a family of stoneflies, with more than 50 genera and 1,100 described species. The majority of the Perlidae are found in eastern North America, but they occur worldwide except for Antarctica and parts of Africa. Their lifecycles range between one and three years. The adults emerge in the summer; they are very active and known to be attracted to light sources. They are usually very sensitive to changes in environment.
Perlidae are usually lotic and lentic erosional. They are found in cool, clear medium-sized to large streams and sometimes in larger, warm rivers that carry silt. They are crawlers and can move quickly. In still water, no water moves over their gills, so they move their bodies up and down to keep oxygen flowing over them.
They are engulfer-predators. They consume all types of invertebrates. Very young larvae are collector-gatherers.
...Perlidae in languages:
- Chinese
- 石蠅科
- Dutch
- Borstelsteenvliegen
- English
- Common Stoneflies
- English
- True Stoneflies
- Finnish
- suurkorrit
- Hungarian
- Nagy álkérészek
- Japanese
- カワゲラ科
- Korean
- 강도래과
- Lithuanian
- Tikrosios ankstyvės
- Russian
- Настоящие веснянки
- Russian
- Большие веснянки
- Swedish
- jättebäcksländor
Images from inaturalist.org observations:
We recommend you sign up for this excellent, free service.































































































































































