Plecoptera: taxon details and analytics
- Domain
- Kingdom
- Animalia
- Phylum
- Arthropoda
- Class
- Insecta
- Order
- Plecoptera
- Family
- Genus
- Species
- Scientific Name
- Plecoptera
Summary description from Wikipedia:
Plecoptera
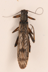
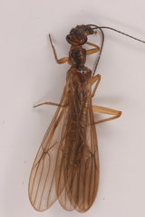
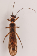
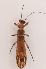
Plecoptera is an order of insects commonly known as stoneflies. Some 3,500 species are described worldwide, with new species still being discovered. Stoneflies are found worldwide, except Antarctica. Stoneflies are believed to be one of the most primitive groups of Neoptera, with close relatives identified from the Carboniferous and Lower Permian geological periods, while true stoneflies are known from fossils only a bit younger. Their modern diversity, however, apparently is of Mesozoic origin.
Plecoptera are found in both the Southern and Northern Hemispheres, and the populations are quite distinct, although the evolutionary evidence suggests species may have crossed the equator on a number of occasions before once again becoming geographically isolated.
All species of Plecoptera are intolerant of water pollution, and the presence of their nymphs in a stream or still water is usually an indicator of good or excellent water quality.
...Plecoptera in languages:
- Afrikaans
- Pêrelvlieë
- Arabic
- مطويات الأجنحة
- Bokmål
- steinfluer
- Bulgarian
- Перли
- Catalan
- Plecòpters
- Chinese
- 襀翅目 (石蠅)
- Czech
- pošvatky
- Danish
- Slørvinger
- Dutch
- Steenvliegen
- English
- Stoneflies
- English
- Stonefly
- Estonian
- Kevikulised
- Finnish
- koskikorennot
- French
- Plécoptères
- French
- Perles
- German
- Steinfliegen
- Hebrew
- גדותאים
- Indonesian
- Lalat Batu
- Italian
- Plecotteri
- Japanese
- カワゲラ目
- Korean
- 강도래목
- Lithuanian
- Ankstyvės
- Modern Greek
- Πλεκόπτερα
- Polish
- Widelnice
- Russian
- Веснянки
- Swedish
- bäcksländor
- Thai
- สโตนฟลาย
- Thai
- อันดับ แมลงศิลา แมลงปีกร่างแห
- Ukrainian
- Веснянки
Images from inaturalist.org observations:
We recommend you sign up for this excellent, free service.
Parent Taxon
Sibling Taxa
Child Taxa
Top Observation Places
- Uijeongbu-si
- Sault Ste. Marie
- St. Louis
- Corvallis
- Chilliwack
- Hamden
- Missoula
- Brampton
- Temuco
- Edmonton
- Munich
- Fredericton
- Coon Rapids
- Cambridge
- Newton
- Somerville
- Waltham
- Brookline
- Medford
- Ottawa
- Nepean
- Richmond
- Columbia
- Adelaide Hills
- Calgary
- Hernals
- Sha Tin
- Kwai Chung
- Tsuen Wan
- Tin Shui Wai
- Tai Po
- Fanling
- Tsing Yi Town
- Yuen Long Kau Hui
- Asheville
- Wellington
- Lower Hutt
- Porirua
- Pasadena
- South Hill
- Graz
- New Plymouth
- Arlington
- Alexandria
- Germantown
- Gaithersburg
- Rockville
- Bethesda
- Reston
- Leesburg































































































































































