Plectorhinchus gaterinus: taxon details and analytics
- Domain
- Kingdom
- Animalia
- Phylum
- Chordata
- Class
- Actinopterygii
- Order
- Acanthuriformes
- Family
- Haemulidae
- Genus
- Plectorhinchus
- Species
- Plectorhinchus gaterinus
- Scientific Name
- Plectorhinchus gaterinus
Summary description from Wikipedia:
Plectorhinchus gaterinus
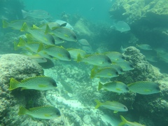
Plectorhinchus gaterinus, commonly known as the blackspotted rubberlip or African grunt, is a species of marine ray-finned fish, a sweetlips belonging to the subfamily Plectorhinchinae, one of two subfamilies in the family Haemulidae, the grunts. It is found in the western Indian Ocean.
...Plectorhinchus gaterinus in languages:
- English
- Blackspotted rubberlip
- English
- Blackspotted Sweetlips
- French
- Diagramme moucheté
- German
- Schwarztupfen-Süßlippe
- German
- Schwarzpunkt-Süßlippe
- Russian
- Чернопятнисиый сладкогуб
Images from inaturalist.org observations:
We recommend you sign up for this excellent, free service.
Parent Taxon
Sibling Taxa
- Plectorhinchus albovittatus
- Plectorhinchus caeruleonothus
- Plectorhinchus centurio
- Plectorhinchus ceylonensis
- Plectorhinchus chaetodonoides
- Plectorhinchus chrysotaenia
- Plectorhinchus chubbi
- Plectorhinchus cinctus
- Plectorhinchus diagrammus
- Plectorhinchus flavomaculatus
- Plectorhinchus gaterinus
- Plectorhinchus gibbosus
- Plectorhinchus griseus
- Plectorhinchus lessonii
- Plectorhinchus lineatus
- Plectorhinchus macrolepis
- Plectorhinchus macrospilus
- Plectorhinchus makranensis
- Plectorhinchus mediterraneus
- Plectorhinchus multivittatus
- Plectorhinchus paulayi
- Plectorhinchus pica
- Plectorhinchus pictus
- Plectorhinchus plagiodesmus
- Plectorhinchus playfairi
- Plectorhinchus polytaenia
- Plectorhinchus schotaf
- Plectorhinchus sordidus
- Plectorhinchus umbrinus
- Plectorhinchus unicolor
- Plectorhinchus vittatus




























































































































































