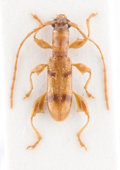
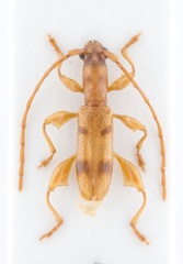
Plectromerus distinctus: taxon details and analytics
- Domain
- Kingdom
- Animalia
- Phylum
- Arthropoda
- Class
- Insecta
- Order
- Coleoptera
- Family
- Cerambycidae
- Genus
- Plectromerus
- Species
- Plectromerus distinctus
- Scientific Name
- Plectromerus distinctus
Images from inaturalist.org observations:
We recommend you sign up for this excellent, free service.




