Plectropomus laevis: taxon details and analytics
- Domain
- Kingdom
- Animalia
- Phylum
- Chordata
- Class
- Actinopterygii
- Order
- Perciformes
- Family
- Epinephelidae
- Genus
- Plectropomus
- Species
- Plectropomus laevis
- Scientific Name
- Plectropomus laevis
Summary description from Wikipedia:
Plectropomus laevis
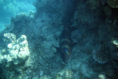
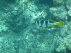
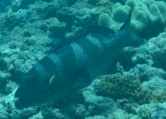
Plectropomus laevis, known commonly as the black-saddled coral grouper, cluespotted coral trout, blacksaddled coral trout, blue-spot trout, Chinese footballer, footballer cod, footballer coral trout, oceanic coral trout or tiger trout, is a species of marine ray-finned fish, a grouper from the subfamily Epinephelinae which is part of the family Serranidae, which also includes the anthias and sea basses. It is found in the Indo-Pacific region.
...Plectropomus laevis in languages:
- Chinese
- 橫斑刺鰓鮨
- Chinese
- 皇帝星斑
- Chinese
- 黑鞍鰓棘鱸
- Chinese
- 平滑鰓棘鱸
- Czech
- kanic sedlatý
- English
- Blacksaddle Coral Grouper
- English
- Tiger Trout
- English
- Blacksaddle Coralgrouper
- English
- Football Trout
- English
- Black-saddled Coral-trout
- English
- Blue-spot Trout
- English
- Oceanic Coral Trout
- English
- Footballer-cod
- English
- Blacksaddled Coralgrouper
- English
- Footballer Trout
- English
- Footballer Coral Trout
- English
- Footballer Cod
- English
- Chinese Footballer
- English
- Oceanic Trout
- English
- Bluespotted Coral Trout
- English
- Blacksaddled Coraltrout
- French
- Loche saumonée
- French
- Mérou léopard
- French
- Saumonnée
- German
- Sattel-Forellenbarsch
- Japanese
- コクハンアラ
- Russian
- Чернопятнистый сендеронг
- Swahili
- Chewa
- Thai
- ปลากุดสลาดอานดำ
- Thai
- ปลากุดสลาดลายเสือ
Images from inaturalist.org observations:
We recommend you sign up for this excellent, free service.
























































































































































